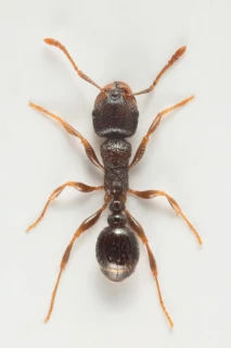
Slekten sandmaur omfatter hittil nærmere 570 beskrevne arter som hovedsakelig er utbredt i tropiske og subtropiske områder. De fleste artene finnes på det afrikanske kontinent. Nærmere 30 arter er hjemmehørende i Europa, men kun en art finnes i Norden og Norge.
Navn og taksonomi
- Vitenskapelig navn:
- Tetramorium Mayr, 1855
- Synonymer:
- Ingen
- Bokmål:
- sandmaur
- Nynorsk:
- Ingen
- Nordsamisk/Davvisámegiella:
- Ingen
- Vitenskapelig navn ID:
- 119160
- Takson ID:
- 77408
Species name
Av
Arnstein Staverløkk
Utgiver
Norsk institutt for naturforskning
Taksoner i artsgruppen
Registrerte funn
Laster funn i kart...
Registrerte funn i Norge
0
Funn totalt
0
Funn denne uken
0
Funn i dag
Bilder av arter i artsgruppen
Species name
Av
Arnstein Staverløkk
Utgiver
Norsk institutt for naturforskning
Species name
Av
Frode Ødegaard
Utgiver
Norsk institutt for naturforskning
Species name
Av
Arnstein Staverløkk
Utgiver
Norsk institutt for naturforskning
Species name
Av
Frode Ødegaard
Utgiver
Norsk institutt for naturforskning
Species name
Av
Arnstein Staverløkk
Utgiver
Norsk institutt for naturforskning
Species name
Av
Arnstein Staverløkk
Utgiver
Norsk institutt for naturforskning
Species name
Av
Arnstein Staverløkk
Utgiver
Norsk institutt for naturforskning
Species name
Av
Arnstein Staverløkk
Utgiver
Norsk institutt for naturforskning
Species name
Av
Arnstein Staverløkk
Utgiver
Norsk institutt for naturforskning
Siden siteres som
Artsdatabanken: Sandmaur Tetramorium
Hentet fra https://artsdatabanken.no/arter/takson/77408