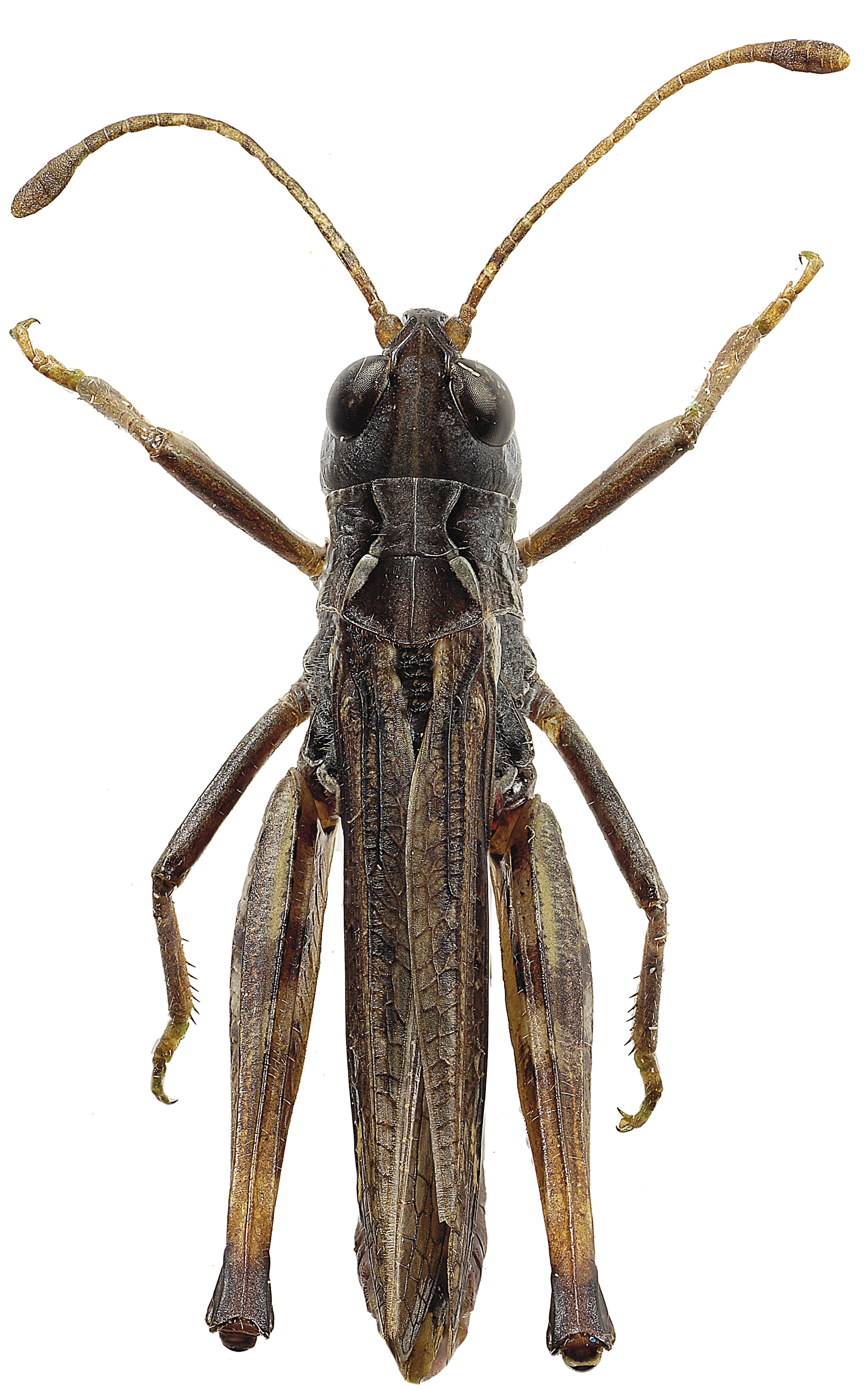
Stor køllegresshoppe er én av to norske gresshoppearter med kølleformede antenner. Arten finnes typisk i middels fuktige gressrike biotoper i skog. Den er vidt utbredt i Sør-Norge.
Navn og taksonomi
- Vitenskapelig navn:
 - Gomphocerippus rufus (Linnaeus, 1758)
 - Synonymer:
 - Ingen
 - Bokmål:
 - stor køllegresshoppe
 - Nynorsk:
 - stor køllegrashoppe
 - Nordsamisk/Davvisámegiella:
 - Ingen
 - Vitenskapelig navn ID:
 - 112786
 - Takson ID:
 - 71879
 
        Kategori
Fastlands-Norge
                    LC
                  
                  
                    Livskraftig
                  
                Registrerte funn
    
  Registrerte funn i Norge
        0
        Funn totalt
      
      
        0
        Funn denne uken
      
      
        0
        Funn i dag
      
    Bilder
        Species name
              
            Av
    
            
                Göran Liljeberg
                
    
        Species name
              
            Av
    
            
                Göran Liljeberg
                
    
        Species name
              
            Av
    
            
                Göran Liljeberg