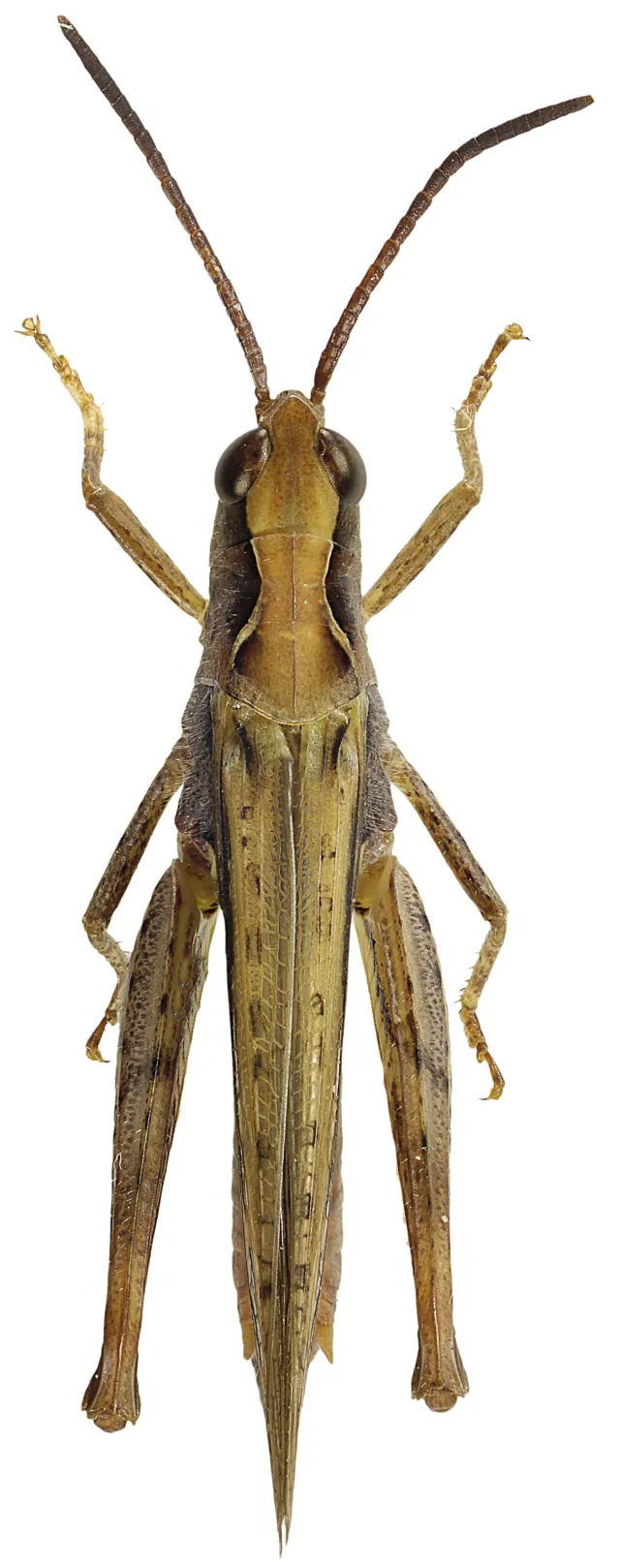
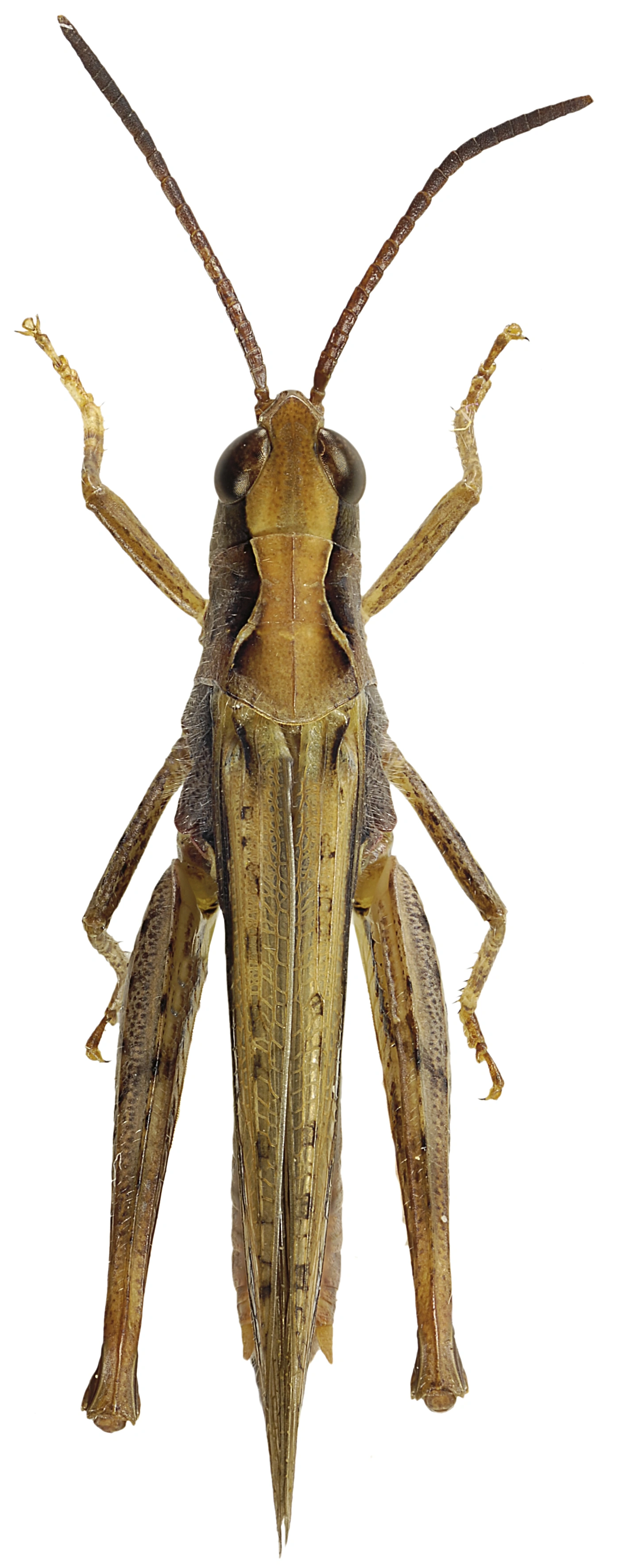
Slåttegresshoppe er en middels stor art med meget variable fargetegninger. Arten er særlig vanskelig å skille fra gråbrun markgresshoppe. Arten foretrekker varme lokaliteter, gjerne litt skrinne, sørvendte skråninger. Den finnes i Sørøst-Norge og langs Sørlandskysten.
Navn og taksonomi
- Vitenskapelig navn:
- Chorthippus biguttulus (Linnaeus, 1758)
- Synonymer:
- Ingen
- Bokmål:
- slåttegresshoppe
- Nynorsk:
- slåttegrashoppe
- Nordsamisk/Davvisámegiella:
- Ingen
- Vitenskapelig navn ID:
- 112779
- Takson ID:
- 71872
 
        Species name
            
          Av
    
            
                Hallvard Elven
                
    Lisens
    
                CC BY 4.0 (Navngivelse)
        Kategori
Fastlands-Norge
                    NT
                  
                  
                    Nær truet
                  
                Forvekslingsarter
      species
    
    
    
    
  Registrerte funn
 
    
  Registrerte funn i Norge
        0
        Funn totalt
      
      
        0
        Funn denne uken
      
      
        0
        Funn i dag
      
    Bilder
 
        Species name
            
          Av
    
            
                Göran Liljeberg
                
     
        Species name
            
          Av
    
            
                Göran Liljeberg
                
     
        Species name
            
          Av
    
            
                Göran Liljeberg
                
     
        Species name
            
          Av
    
            
                Göran Liljeberg
                
     
        Species name
            
          Av
    
            
                Lars Ove Hansen
                
    Lisens
    
                CC BY 4.0 (Navngivelse)
         
        Species name
            
          Av
    
            
                Hallvard Elven
                
    Lisens
    
                CC BY 4.0 (Navngivelse)
         
        