Andricus sieboldi har to generasjoner. Vintergallen dannes i barken på eik ved treets basis og ser ut som vorter eller nagler i barken. Arten opptrer oftest på unge eiketrær ved basis av stammen og på greiner som ligger langs bakken og er dekket av vegetasjon. Den ses ofte i en ansamling på 10–20 galler. I Norge er arten vanlig på Østlandet.

Kjennetegn

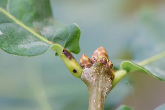
Sommergallen har et kryptisk utseende hvor den dannes som en hevelse i bladribben eller bladpetiolen i mai–juni.

Vintergallen er rosa/lilla i fargen og mer eller mindre kjegleformet under voksestadiet. Gallen skiller også ut honningdugg, som er attraktivt for maur. Litt ut på sommeren kan man se jordmaur som har bygd tuene sine rundt stammen på småeik som har galler av A. sieboldi. Dette er trolig et symbiotisk forhold hvor gallvepsen får beskyttelse mot parasitoider som motytelse for honningduggen som maurene vil ha.

Det kan være vanskelig å bestemme flere av de store Andricus-artene. Mye av det som har vært antatt å være Andricus testaceipes i Norge, har vist seg gjennom DNA-strekkoding å være A. sieboldi. I nøkkelen til Eady & Quinland (1963) er A. sieboldi oppgitt som synonym til den partenogenetiske hunnen til A. testaceipes. I Andersen og Fjellberg (1977)  ble A. testaceipes publisert fra to lokaliteter hvor partenogenetiske hunner hadde klekt fra innsamlete galler. Alle de partenogenetiske hunnene som ble klekt fra galler i Artsprosjektet har vist seg å være A. sieboldi

Partenogenetisk hunn: Hele kroppen inkludert antenner og bein er rødbrune med noen mørkere felter. Hodet og ytterste halvdel av antennene er mørkebrune til svarte. Antennene har 14–15 antenneledd. Vingene har tydelige brune ribber og hår. Lengde 3,8–4,0 mm.

Hunn: Ligner hunnen til Andricus quercuscorticis. Tilhører gruppen hvor fjerde antenneledd (F2) er lengre enn pedicellus og like langt eller litt kortere enn F1.

Hann: Ligner hunnen. Lengde 1,2–1,4 mm.

Andricus sieboldi danner sommergaller i bladpetiolen hos eik.

Vertsforhold

Gallene dannes på små eiketrær ved basis av stammen. Noen ganger fåtallig, andre ganger flere titalls galler sammen. Ofte sitter det rester etter gamle galler fra tidligere år ved siden av de nye.

Utbredelse

Arten er kjent fra Sør- og Østlandet og langs kysten opp til Sogn.

Forvekslingsarter

Kun klekking av voksne individer kan skille den kjønnete generasjonen fra A. testaceipes. Sistnevnte art er registrert fra Norge gjennom studien til Andersen og Fjellberg (1977),  men dette funnet må valideres opp imot ny kunnskap for at vi skal kunne regne med den fra Norge. Den partenogenetiske hunnen til A. sieboldi er mest lik A. quercuscorticis, der de laterale rillene på propodeum hos A. sieboldi er mer bøyd innover, mens hos A. quercuscorticis går de mer parallelt (Melika 2006).