Les hele beskrivelsen
Navn og taksonomi
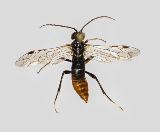
- Vitenskapelig navn:
- Tenthredopsis litterata (Geoffroy, 1785)
- Synonymer:
- Ingen
- Bokmål:
- Ingen
- Nynorsk:
- Ingen
- Nordsamisk/Davvisámegiella:
- Ingen
- Vitenskapelig navn ID:
- 112638
- Takson ID:
- 71736
Kategori
Fastlands-Norge
LC
Livskraftig
Registrerte funn i Norge
‐
Funn totalt
‐
Funn denne uken
‐
Funn i dag
Levested
Skog
Skogarealer, med unntak av treplantasjer, semi-naturlig eng som er tresatt og skog som påvirkes av flom.
Semi-naturlig mark
Samlebetegnelse på åpne eller spredt tresatte fastmarkssystemer som er formet og betinget av tradisjonell hevd.
Siden siteres som
Artsdatabanken: Tenthredopsis litterata (Geoffroy, 1785)
Hentet fra https://artsdatabanken.no/arter/takson/71736