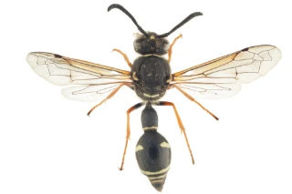
Matt krukkeveps er kun funnet et par ganger i Oslo-området rundt 1850 og har med stor sikkerhet forsvunnet fra Norge for lang tid tilbake. Den er svært lik glatt krukkeveps, men har tydelig punktur på andre bakkroppsledd.

Les hele beskrivelsen

Navn og taksonomi

Vitenskapelig navn:
Eumenes coarctatus (Linnaeus, 1758)
Synonymer:
Ingen
Bokmål:
matt krukkeveps
Nynorsk:
Ingen
Nordsamisk/Davvisámegiella:
Ingen
Vitenskapelig navn ID:
119265
Takson ID:
77509
Gå til Nortaxa for flere detaljer
Av
Arnstein Staverløkk
Utgiver
Norsk institutt for naturforskning

Kategori

Fastlands-Norge

RE
Regionalt utdødd

Forvekslingsarter

Registrerte funn i Norge

Funn totalt
Funn denne uken
Funn i dag

Levested

Skog

Skogarealer, med unntak av treplantasjer, semi-naturlig eng som er tresatt og skog som påvirkes av flom.

Semi-naturlig mark

Samlebetegnelse på åpne eller spredt tresatte fastmarkssystemer som er formet og betinget av tradisjonell hevd.

Habitatinformasjonen er hentet fra Rødlista for arter.


Siden siteres som

Artsdatabanken: Matt krukkeveps Eumenes coarctatus (Linnaeus, 1758)

Hentet fra https://artsdatabanken.no/arter/takson/77509