Innhold
Tenthredo ferruginea hunn, form 1 (var. rufipennis). Ådnevik i Unndalen, Kristiansand, Vest-Agder, Norge. 27.06.2012. Leg. Kai Berggren.
Beskrivelse
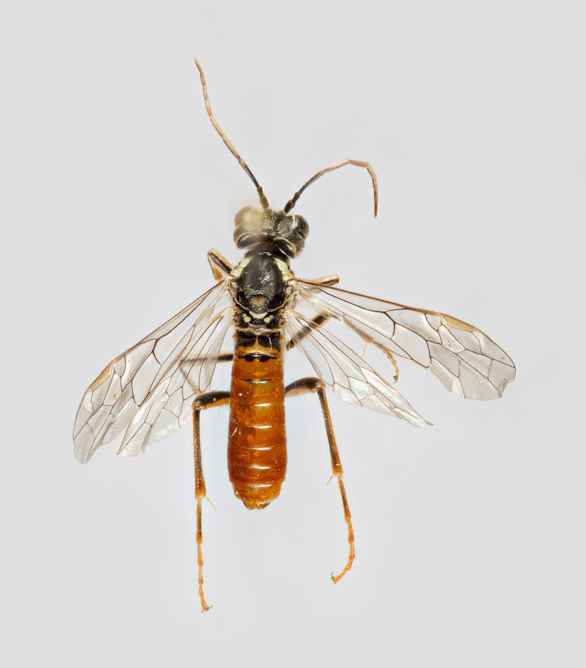
Hunnen: Arten forekommer i to distinkte fargeformer (se Malaise, 1931). Hos form 1 (var. rufipennis) er bakkroppen, med unntak av en svart flekk på oversiden av 1. og 2. segment rustrød. Hos form 2 (var. laticincta) er 1. og 2. bakkroppsegment svart på oversiden, 3.-5. segment er røde, mens de siste segmentene er svarte. Utover forskjell i fargen på bakkroppen er de andre karakterene relativt konstante, men form 2 er generelt noe mørkere. Hodet: Svart. Munndeler, felt under antennene, indre øyerander samt mer eller mindre baksiden av øynene er lyse. Hodet er tydelig skulpturert. Antennenes 6. ledd delvis hvitt, 7. og 8. ledd som regel helt hvitt. Forbrystet og vingelokket er lyst. Resten av brystet som regel svart, men hos form 1 kan brystets sider også være lyse. Lår rødlige med varierende grad av svart på innsiden. Legger og føtter ofte litt lysere. Bakhoftene er svarte. Vingene er klare med brune årer. Vingemerket er brunt. Hannen: Ligner hunnen, men er mindre. 10−13 mm.
Tenthredo ferruginea hunn, form 2 (var. laticincta). Midtre Ljøsne, Lærdal, Sogn og Fjordane, Norge. 02.07.2013. Leg. Kai Berggren.
Tenthredo ferruginea hann. Haukemyr, Nesodden, Akershus, Norge 13.06.2010. Leg. Ole J. Lønnve.
Biologi
Arten forekommer i flere typer habitater. Den er typisk forekommende i kanter langs jorder, frisk skog, hogstflater og enger i gjengroingsfase. Arten oppsøker til en viss grad blomster. De voksne tar også andre insekter.
Arten er oppgitt å gå på en rekke vidt forskjellige karplanter, deriblant rogn (Sorbus aucuparia), or (Alnus), selje- og vierarter (Salix), buskmure (Dasiphora fruticosa) og einstape (Pteridium aquilinum) (Taeger et al. 1998).
I Norge er flygetiden normalt fra begynnelsen av juni til begynnelsen av juli. Dette avhenger derimot av høyde over havet og geografi. Enkelte funn er gjort i slutten av mai, og det foreligger også noen funn fra slutten av juli.
Norsk utbredelse
Arten er vidt utbredt i mesteparten av landet. Arten finnes fra lavlandet til opp i bjørkebeltet. Den er forholdsvis vanlig, men som regel ganske fåtallig på lokalitetene. I Sør-Norge forekommer begge formene, mens form 2 (var. laticincta) ser ut til å bli mer dominerende jo lenger nord man kommer. Dette temaet trenger derimot nærmere klargjøring.
Global utbredelse
Sentral- og Mellom-Europa og østover i Sibir helt til Kamtsjatka.