Skjeggflaggermus Myotis mystacinus er en liten flaggermus med mørkebrun pels på ryggen og en mørkegrå pels på magen. Skjeggflaggermus forekommer i store deler av Sør-Norge, sør for Trondheim. Matsøk forekommer primært i forskjellige former for skog.

Innhold

Av
Rune Sørås
Last ned (135.76 KB, JPG)

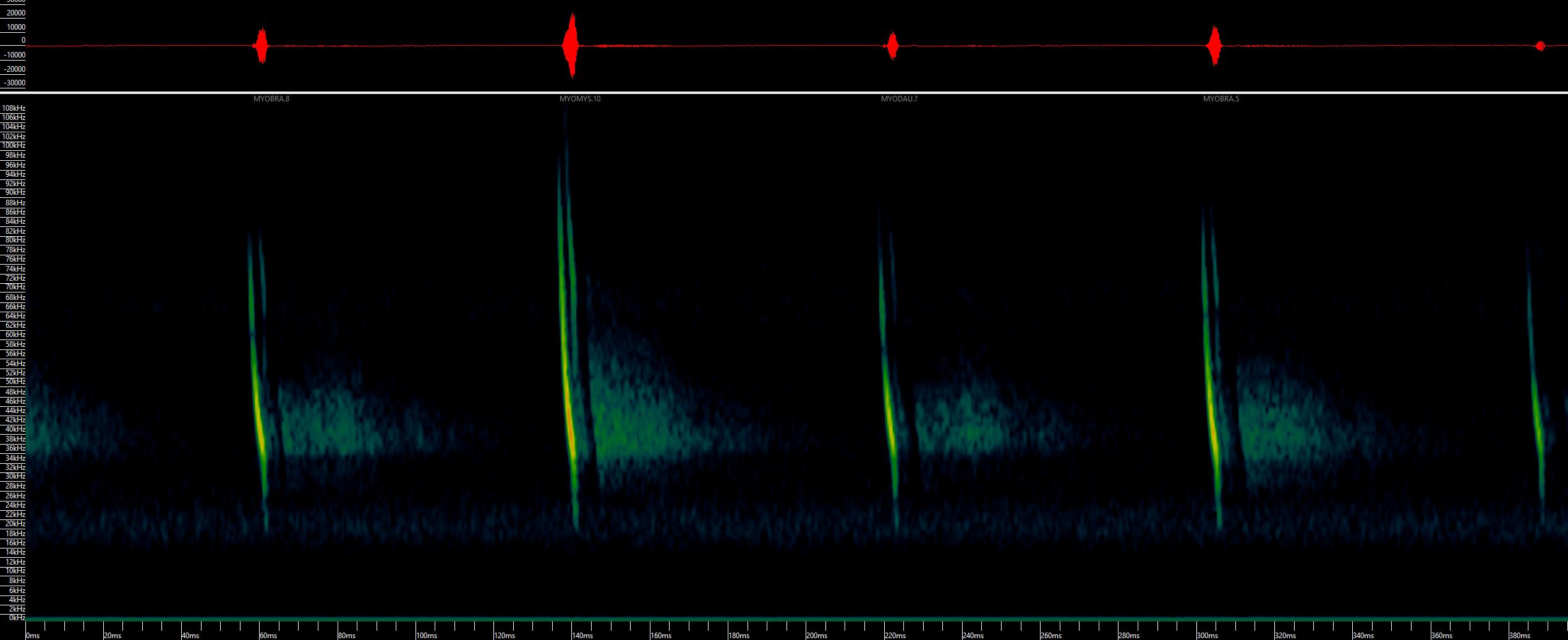
Et eksempelopptak som viser fem ekkolokaliseringsrop fra Myotis, hvor y-aksen viser frekvensene ropet utgis på (kHz), mens x-aksen henspeiler tiden (i millisekunder). I det gitte eksempelet er det flere essensielle komponenter som kan analyseres: ropene ser ut til å starte på forskjellige frekvenser mellom 80–100 kHz. Dette skyldes eksempelvis varierende avstand til mikrofon. Ropene har en høyest desibel ved omtrent 45 kHz, ser ut til å avsluttes på omtrent 25–35 kHz, og varer i omtrent 5,5 ms. Ropene er etterfulgt av kortere pauser på omtrent 80 ms mellom ropene. 

Av
Rune Sørås
Last ned (982.19 KB, JPG)

Skjeggflaggermus er utseendemessig svært lik skogflaggermus. Den er derfor vanskelig å artsbestemme kun basert på bilder.

Kjennetegn

Arten er liten med normalvekt 4 til 7 g og underarmslengde 32 til 36,5 mm. Den har relativt lange, spisse ører. Klaffen foran øreåpningen (tragus) er spisst avlang og strekker seg vanligvis nesten halvveis opp øret. Ørene er hovedsakelig svarte. Vingehuden er festet ved basen av den første tåen. Hanner har en smal, avlang penis. Den tredje premolaren i overkjeven har ingen eller kun en liten tagg på innsiden (protocon) som, hvis den forekommer, er kortere enn tredje premolaren. Den tredje premolaren er også merkbart mindre enn den andre premolaren.

Utbredelse

Artskart indikerer en mer vestlig utbredelse enn skogflaggermus. Dette skyldes nok manglende kartlegging siden artene er vanskelige å skille basert på akustiske data og fotografier.

Arten lever ellers i store deler av Europa, samt Marokko, med bare spredte populasjoner i Spania og Portugal. Artens østlige og sør-østlige utbredelse er udefinert grunnet overlapp med Myotis aurascens, en annen art med svært like morfologiske trekk.

Levevis

Skjeggflaggermus ser ut til å ha en bredt sammensatt diett bestående av flygende insekter, hovedsakelig tovinger, nattsvermere og veps. Jakt foregår fra omtrent 1 meter over bakken til rundt trekronen, gjerne langs skogkanter, hekker, eller i forskjellige typer skog.

Skjeggflaggermus overvintrer primært i gruver eller andre underjordiske steder. Ettersom skjeggflaggermus ikke kan skilles fra skogflaggermus Myotis brandtii i dvale, er dvalen lite kartlagt.

Kolonier forekommer primært under takstein i hus. Individer kan også bruke hulrom i trær eller steinur og bergsprekker som dagleie. Det er sannsynlig at lignende lokaliteter brukes til overvintring.

Forvekslingsarter

Skjeggflaggermus kan skilles fra vannflaggermus Myotis daubentonii og børsteflaggermus Myotis nattereri ved at den har vesentlig mørkere hud i ansiktet, samt at den som oftest er mindre. Hos vannflaggermus er huden festet under ankelen, og ikke ved basen av den første tåen.

Skjeggflaggermus er vanskelig å skille fra skogflaggermus Myotis brandtii. Sistnevnte har en tjukkere klubbeformet penis. Taggen på innsiden av den tredje premolaren er mer fremtredende og lenger enn tredje premolaren hos skogflaggermus. Skogflaggermus kan også ha et noe lysere ansikt og lysere basis i ørene enn skjeggflaggermus, men dette er ikke et godt kjennetegn.

Lyd

I likhet med flere andre arter i Myotis slekten har skjeggflaggermus svært korte (3–6 ms) og hyppige (11–14 per sekund) ekkolokaliseringsrop. Ett enkelt rop starter gjerne på 75–120 kHz og slutter på omtrent 28–30 kHz. Høyeste desibelnivå er ved omtrent 41–52 kHz. Dette medfører at start og slutt på en serie ekkolokaliseringsrop vil se ut til å variere over tid, men dette skyldes at start- og slutt-frekvensene får for lavt intensitetsnivå til å kunne fanges opp av mikrofonen når avstanden øker mellom flaggermus og mikrofon.

Av
Rune Sørås
Last ned (96.02 KB, JPG)

Et eksempelopptak som viser seks ekkolokaliseringsrop fra Myotis, hvor y-aksen viser frekvensene ropet utgis på (kHz), mens x-aksen henspeiler tiden (i millisekunder).