Hageeitermaur forekommer i en rekke ulike naturtyper, men er særlig tallrik i fuktig mose på sumpmark og sjøstrender. Arten er relativt liten og lys med jevnt bøyde antenneskaft og korte ryggtagger. Arten er svært vanlig i lavlandet i Sør-Norge og spesielt i kystnære strøk.
Innhold
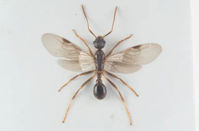
Dronning av hageeitermaur Myrmica rubra.
Kjennetegn
Hageeitermaur Myrmica rubra er en relativt liten og lys art som karakteriseres av et svakt bøyd antenneskaft uten lister ved basis, samt korte ryggtagger og glatt overside av petiolen. Arbeidere og dronninger har relativt svak og uregelmessig skulptur på framkroppen. Hodet er noe mørkere enn kroppen ellers og litt lengre enn bredt. Pannelistene er svakt S-formete og svinger inn og tilbake rundt antennegropene i overkant. Ryggtaggene er forholdsvis korte. Petiolen sett fra siden er svakt innsvingt i framre del og jevnt nedadgående i bakre del uten særlig utflating på toppen. Petiolens overside er glatt med fin punktuering og har kun antydning til langsgående riller mot sidene. Dronningene forekommer i to størrelser; macrogyne og microgyne former. Den microgyne formen (var. microrubra) omtales i eget kapittel.
Hannen er mørk i fargen og har lange antenneskaft som er lite bøyde ved basis. Kroppsbehåringen er relativt lang og beina har skrått utstående behåring.
Lengde: arbeider, 3,5–5 mm; dronning, 5,5–7 mm (macrogyn); hann, 4,5–5,5 mm.
Arbeider av hageeitermaur Myrmica rubra.
Arbeider av hageeitermaur Myrmica rubra, fra siden.
Dronning av hageeitermaur Myrmica rubra.
Dronning av hageeitermaur Myrmica rubra, fra siden.
Hann av hageeitermaur Myrmica rubra.
Utbredelse
Hageeitermaur er en vidt utbredt art som finnes fra Fennoskandia og Storbritannia og sørover i Europa til nordlige deler av Spania, Italia og Hellas. Østover finnes den i et bredt belte gjennom Øst-Europa, Kaukasus og Sibir til Baikalsjøen.
I Norge er arten meget vanlig i lavlandet i Sør-Norge og er funnet nordover langs kysten til Narvik. Det foreligger også et gammelt og usikkert funn av en dronning fra Polmak i Finnmark. Arten avtar i hyppighet oppover i høyden og er ikke funnet i fjellskog eller over skoggrensa. Arten ble først rapportert fra Norge av Siebke (1880).
Levesett
Hageeitermaur er en svært vanlig art som finnes i mange ulike naturtyper. Den trives godt i mose og fuktig, næringsrik jord og er derfor den vanligste eitermauren å finne i hager, parker, åkerkanter og annen kulturmark. Den er ellers svært vanlig i fuktige og næringsrike skogkanter og i sumpmark langs sjøstrender og vassdrag. Den kan av og til også finnes på tørr mark. Arten er mer sjelden i høyereliggende områder og går ikke opp i fjellet.
Samfunnene av hageeitermaur kan bli store og bestå av 1000–10000 arbeidere og flere dronninger.
Hageeitermaur forekommer i to ulike morfer der normale og store (macrogyne) dronninger er mest vanlige. Den mikrogyne dvergformen (var. microrubra) er genetisk forskjellig fra den makrogyne formen og er derfor ansett som en art i dannelsesfase (nascent species) og omtales i eget kapittel.
Hageeitermaur er den mest aggressive av eitermaurartene og stikker gjerne gjennom tynn menneskehud. Hageeitermaur lever hovedsakelig som nedbryter, men er ofte å finne i vegetasjonen der de henter nektar fra blomster eller honningdugg fra bladlus. Svermingen foregår i august og september.
Bol av hageeitermaur Myrmica rubra under stein. Jeløya, Moss i Østfold. 16. april 2016.
Forvekslingsarter
Hageeitermaur kan særlig forveksles med skogeitermaur Myrmica ruginodis siden antenneskaftene er jevnt bøyde og uten lister hos de to artene. Hageeitermaur er gennomgående mindre, har kortere ryggtagger og er nesten glatt på oversiden av petiolen. Skulpturen på framkroppen er også noe svakere hos hageeitermaur.
Hannen skilles fra skogeitermaur på at den er noe mindre og mørkere i fargen. Antenneskaftene hos hageeitermaur er noe kortere, mens kroppsbehåringen er noe lengre. Hageeitermaur har skrått utstående beinbehåring mens skogeitermaur har nedliggende behåring på beina.
Arten kan ellers forveksles med andre arter med jevnt bøyde antenneskaft. Dette gjelder småeitermaur Myrmica rugulosa og sumpeitermaur M. gallienii. Disse to har imidlertid sterkere bøyde antenneskaftbasiser, samt sterkere S-formete pannelister som går rett bakover på hodet uten å svinge inn rundt antennegropene.
Koloni av hageeitermaur Myrmica rubra. Hvasser, Tjøme i Vestfold.
Koloni av hageeitermaur Myrmica rubra. Jeløy, Moss i Østfold.
Om denne siden
Publisert: 17. februar 2015Siden siteres som
Frode Ødegaard, Arnstein Staverløkk, Jan Ove Gjershaug: Hageeitermaur Myrmica rubra Linnaeus, 1758
Hentet fra https://artsdatabanken.no/arter/takson/112872/beskrivelse