Arten raudlista - etter kriteriet kva da?

Når du bruker Raudlista for artar, er sjansen stor for at du før eller seinare støyter på omgrep eller metodikk som vekkjer hovudbry. Kriteria artane blir vurderte etter er ein klassikar i så måte. Her følgjer ein krasjkurs i raudlistekriteria, og når dei "slår inn".

Innhold

La det vere sagt først som sist, og for ordens skuld, kriteria som vert brukte for å vurdere om ein art skal inn på Raudlista er ikkje eit påhitt frå Artsdatabanken. Dei er derimot laga av Den internasjonale naturvernunionen (IUCN). IUCN bruker sjølv dei same kriteria når dei lagar den Globale raudlista, og det same gjer andre land som lagar nasjonale raudlister.

Under freistar me å forklare kriteria, slik at du kan vere førebudd når ei ny raudliste for artar blir lagd fram i november 2021.

Når det går skikkeleg unna bakke (A-kriteriet)

Bildet mangler beskrivelse
Marisko vart i Raudlista for artar 2021 vurdert til kategorien sårbar VU.

Det fyrste av kriteria i raudlistemetodikken, A-kriteriet, er for artar som har opplevt eller opplever ein sterk nedgang i storleiken på bestanden i løpet av vurderingsperioden - som svarar til tre generasjonar hos arten. Lengda på ein slik vurderingsperiode kan, ikkje uventa, variere veldig frå art til art. Det er forskjell på generasjonstida til ei døgnfluge, som har eit heller kort liv, og ei eik som kan bli fleire hundre år gamal. Likevel er vurderingsperioden aldri kortare enn 10 år eller lenger enn 100 år.

I Raudlista finst det mange eksempel på artar som er vurderte etter A-kriteriet, etter kraftig tilbakegang. Den vakre orkidéen marisko, som har ei generasjonstid på 20 år, har ein bestand som er redusert 30 - 40 % dei siste 60 åra. Enda meir dramatisk er utviklinga til fuglearten vipe, som har gått tilbake med meir enn 80 % sidan 2001. Det er nærmast fritt fall, og vipa er dermed ein klar A-kriteriekandidat.

I tillegg er A-kriteriet også aktuelt når me veit det vil kome ein nedgang hos ein art i tida framover. I raudlistevurderingane til Raudlista 2021 er dette til dømes tilfellet for rein. Det er planlagt å skyte meir rein på Hardangervidda for å få bukt med skrantesjuke, og denne nedgangen er teken med i vurderinga av arten.

Andre ting som er greitt å vite om A-kriteriet? Jo, storleiken på ein bestand har ikkje noko å seie for A-kriteriet, berre det er ein stor nedgang. Derfor kan ein art framleis vere talrik, og likevel hamne på Raudlista etter A-kriteriet.

Alle treng ein stad å bu (B-kriteriet)

Studiobilde av brunhvit edderkopp på hvit bakgrunn
Det har vore leita etter stor elvebreddedderkopp mange stader i landet, men so langt er arten berre funnen i Trøndelag. Ækt trønder med andre ord. 

For at ein art skal kunne finnast i landet vårt må den ha nok gode levestader.

Mange artar lever berre på små og få område. Dette kan vere fordi arten sine leveområde er naturleg sjeldne, men det kan òg vere fordi bruken vår av naturen øydelegg leveområda. Dette er faktisk den største trugselen mot mange av artane på Raudlista.

B-kriteriet slår gjerne inn for slike artar som har små og få leveområde. Det finst likevel fire krav, som ein art må oppfylle minst to av, for at B-kriteriet skal kunne brukast. Me skal ikkje ramse opp alle fire her - men berre nemne at dei to krava som dei fleste "B-artane" oppfyller, er at arten er i tilbakegang og at delbestandane må vere små og isolerte frå kvarandre.

Små delbestandar vil kunne døy ut dersom det skjer eit menneskeleg naturinngrep, eller ei tilfeldig hending i naturen som flaum eller ras. Dersom området då er isolert frå andre område der arten lever vil det vera små sjansar for re-etablering.

La oss bruke stor elvebreddedderkopp som eksempel. Denne flotte edderkoppen lever i opne, flaumpåverka sand- og grusområde langs nokre få elver og innsjøar. Leveområda er små - og delbestandane er isolerte frå kvarandre fordi arten har dårleg spreiingsevne. Då ligg det i korta at B-kriteriet kan slå inn. Samtidig er arten i tilbakegang, og leveområda utsett for vassdragsregulering, gjengroing med framande artar, motorferdsel og tråkk. Stor elvebreddedderkopp er difor raudlista som sterkt truga EN etter B-kriteriet, i vurderingane til Raudlista for artar 2021.

Få og stadig litt færre (C-kriteriet)

Bildet mangler beskrivelse
Raudknappsandbie er ei vakker villbie, som det dessverre ikkje er so mange igjen av i Noreg.

Nokre gonger er det ikkje så mange individ av ein art, samtidig som det sakte men sikkert blir færre. Då kan C-kriteriet slå inn.

Nedgangen i bestanden, som må være til stades før C-kriteriet kjem inn i biletet, er faktisk ganske stor - 10 % for kategorien sårbar VU, og 25 % for kategorien kritisk truga CR. Slike tal er dramatiske for ein liten bestand.

Eit godt eksempel på ein slik art er rasmarkslørsopp, som lever i kalklindeskogar på Austlandet, og då ofte i mineralrik rasmark. I dag finst det berre rundt 2100 individ av rasmarkslørsopp, og dette er ein tilbakegang på 10 % eller meir på tre soppegenerasjonar.

C-kriteriet vil òg kunne slå inn for ein art der nedgangen i bestanden er mindre enn 10 %. Men då må arten ha ein uheldig bestandsstruktur eller store svingingar i bestanden. Slike ting gjer nemleg ein liten bestand ekstra utsett.

Raudknappsandbie, som me truleg har færre enn 250 individ av, er ein sånn art. I tillegg til at dei er få, og stadige blir færre, er dei ulike delbestandane små og isolerte. Talet på raudknappsandbier varierer òg mykje frå år til år. Derfor er arten vurdert etter C-kriteriet til å vere kritisk truga CR i vurderingane til Raudlista 2021.

For mange kan nok C-kriteriet verke likt A-kriteriet, men i motsetning til A gjeld C for små bestandar, og tidsperioden for nedgangen kan vere kortare og nedgangen mindre.

Svært få eller lever farleg (D-kriteriet)

Bildet mangler beskrivelse
Bakkekløver har ei blomsterkrone som kan minne om kvitkløver, men elles er dei to artane veldig forskjellige. Bakkekløveren kan mellom anna bli 30-40 cm høg.

Men kva om bestanden din ikkje går ned, men berre er veldig, veldig liten? Det finst eit kriterium for det også, og du har sikkert allereie tippa at det blir kalla D-kriteriet. D-kriteriet plasserer artar i dei ulike raudlistekategoriane ut i frå kor få reproduksjonsdyktige individ som finst. Jo færre reproduksjonsdyktige individ, jo meir alvorleg kategori.

I gruppa av artar som er raudlistevurdert etter D-kriteriet finn me gamle kjenningar, som dei fire store rovdyra, ulv, jerv, brunbjørn og gaupe, men også den kritisk truga dverggåsa − og blokkebær på Svalbard.

Men la oss her bruke Oslo fylke sin fylkesblomst, bakkekløver, som eksempel. Den einaste naturlege førekomsten av bakkekløver er på Hovedøya i Oslofjorden. Der lever det truleg færre enn 2000 reproduksjonsdyktige planter på 5 kvadratkilometer. Bestanden er ikkje i tilbakegang, men fordi det er så veldig få av dei er arten vurdert til kategorien nær truga NT etter D-kriteriet i vurderingane til Raudlista 2021.

Artar som har svært små eller få leveområde kan også raudlista etter D-kriteriet. Men då blir det kravt at det finst ein trugsel mot desse leveområda, anten i form av menneskeleg aktivitet eller ei mogeleg uheldig hending i naturen som ras eller flaum. Slike artar kan vere talrike lokalt, men alle individa kan verte utrydja dersom det som trugar faktisk skjer.

Men så enkelt var det ikkje

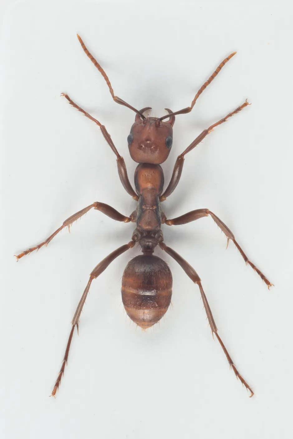
Bildet viser amasonemaur Polyergus rufescens
Av
Arnstein Staverløkk
Utgiver
Norsk institutt for naturforskning
Amasonemaur er berre funnen på Skåtøy ved Kragerø. Habitata, som ligg langs kysten, er utsett for tråkk frå beitedyr, friluftsliv, framande artar og hyttebygging. På lang sikt kan klimaendringar også utgjere ein trussel.

No er sjølvsagd teori ein ting, og natur gjerne noko heilt anna. Ein art kan oppfylle krava til å bli raudlista etter to eller fleire kriterium. Som den observante raudlistebrukaren sikkert òg har lagt merke til, figurerer mange artar med to kriterium i Raudlista, og nokre med enda fleire.

Faktisk er det sånn at alle artar blir vurderte mot alle kriteria, i alle fall i teorien, og så er det det kriteriet som gjev mest alvorleg kategori for arten som vert gjeldande. Dersom to eller fleire kriterium gir same risiko for utdøing, skal dei alle listast opp i raudlistevurderinga av arten. Rekorden i så måte har kanskje arten amasonemaur, som i vurderingane til Raudlista for artar 2021 er vurdert til kategorien sterkt truga EN - og det etter B, C og D-kriteriet.

Kontaktperson:

Snorre Henriksen, Artsdatabanken 
Epost: snorre.henriksen@artsdatabanken.no 
Telefon: 90 99 00 97