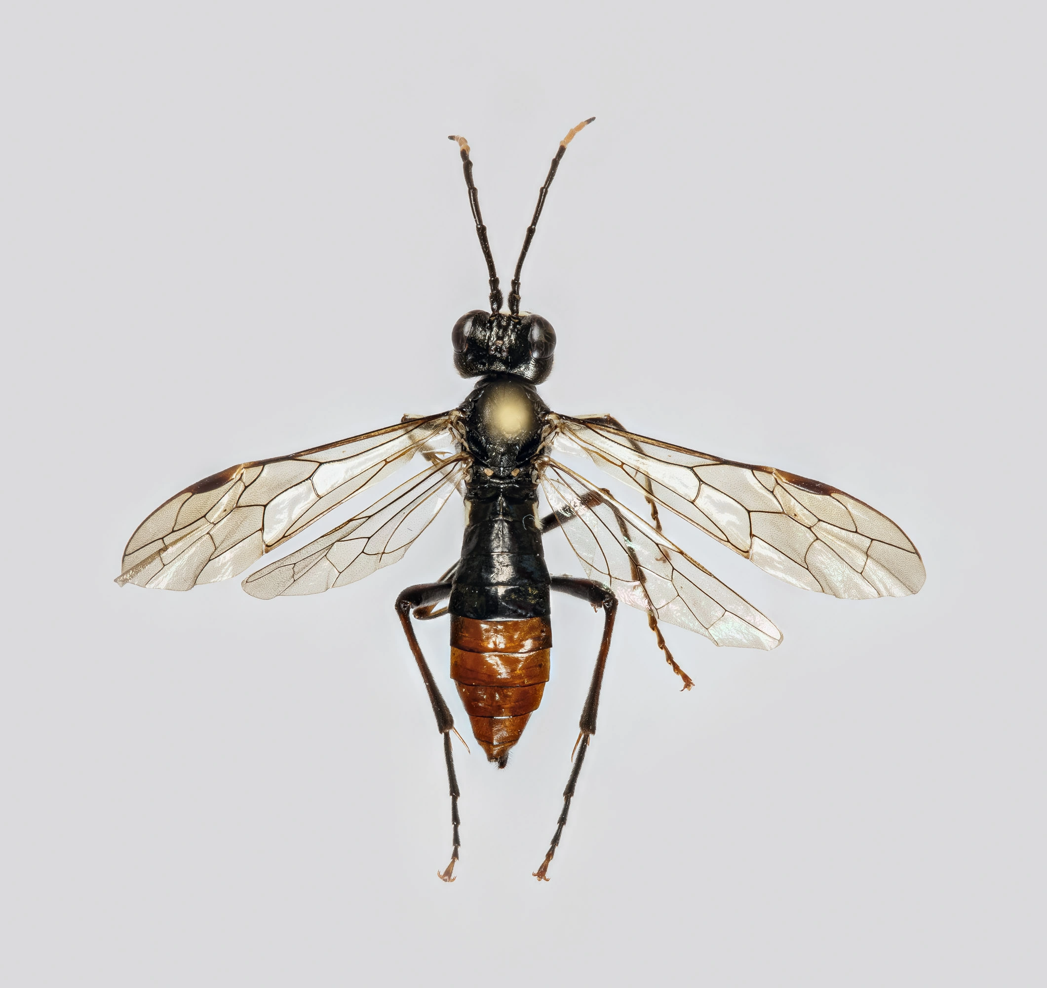
Underfamilien Tenthredininae består av middels til store, til dels langstrakte og fargerike arter. Rundt 2000 arter er kjent på verdensbasis. Over 200 arter forekommer i Europa. 56 av disse er kjent fra Norge.
Navn og taksonomi
- Vitenskapelig navn:
- Tenthredininae
- Synonymer:
- Ingen
- Bokmål:
- Ingen
- Nynorsk:
- Ingen
- Nordsamisk/Davvisámegiella:
- Ingen
- Vitenskapelig navn ID:
- 151347
- Takson ID:
- 111314
Taksoner i artsgruppen
Registrerte funn
Laster funn i kart...
Registrerte funn i Norge
0
Funn totalt
0
Funn denne uken
0
Funn i dag
Bilder av arter i artsgruppen
Laster...
Siden siteres som
Artsdatabanken: Tenthredininae
Hentet fra https://artsdatabanken.no/arter/takson/111314