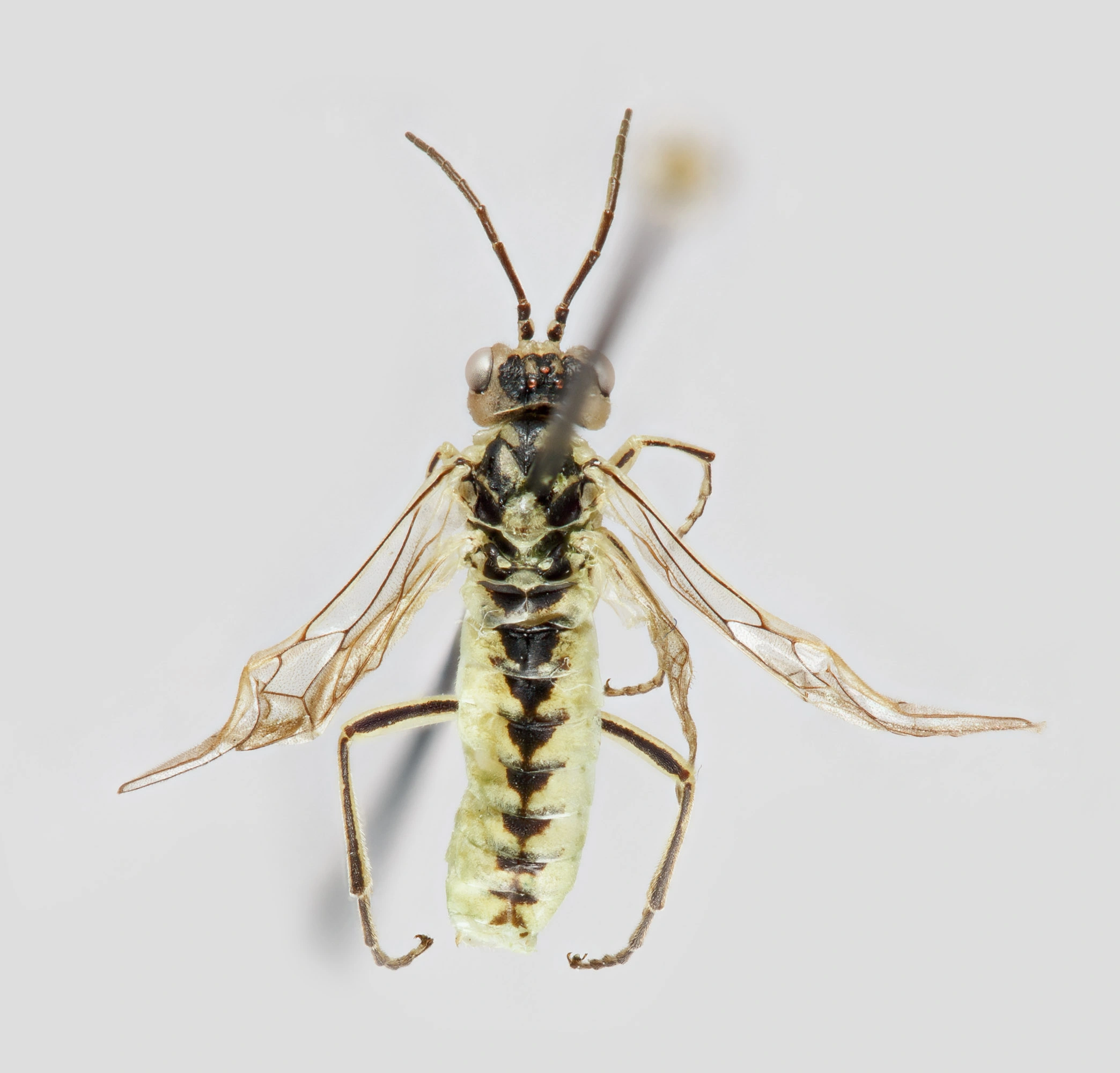
Bladvepsene (Tenthredinidae) utgjør den største familien planteveps (Symphyta). Over 6000 arter er kjent globalt (Taeger et al. 2010). Familien deles inn i seks underfamilier (Allantinae, Blennocampinae, Heterarthrinae, Nematinae, Selandriinae og Tenthredininae). Alle underfamiliene er representert i Norge, hvorav Nematinae er den mest artsrike.

Les hele beskrivelsen

Navn og taksonomi

Vitenskapelig navn:
Tenthredinidae
Synonymer:
Ingen
Bokmål:
bladvepser
Nynorsk:
bladvepser
Nordsamisk/Davvisámegiella:
Ingen
Vitenskapelig navn ID:
111857
Takson ID:
70955
Gå til Nortaxa for flere detaljer
Av
Ole Jørgen Lønnve
Utgiver
Biofokus

Taksoner i artsgruppen

Registrerte funn

Laster funn i kart...

Registrerte funn i Norge

0 Funn totalt
0 Funn denne uken
0 Funn i dag

Siden siteres som

Artsdatabanken: Bladvepser Tenthredinidae

Hentet fra https://artsdatabanken.no/arter/takson/70955