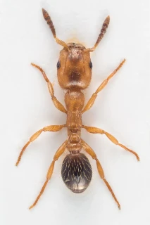
Slekten røvermaur inneholder kun tre arter på verdensbasis: Harpagoxenus canadensis er utbredt i Nord-Amerika, H. zaisanicus i sørøstlige deler av Sibir og Mongolia, mens H. sublaevis er utbredt i Palearktis. Alle artene parasitterer smalmaur Leptothorax og bruker disse som slaver.
Navn og taksonomi
- Vitenskapelig navn:
- Harpagoxenus Forel, 1893
- Synonymer:
- Ingen
- Bokmål:
- røvermaur
- Nynorsk:
- Ingen
- Nordsamisk/Davvisámegiella:
- Ingen
- Vitenskapelig navn ID:
- 119151
- Takson ID:
- 77399
Species name
Av
Arnstein Staverløkk
Utgiver
Norsk institutt for naturforskning
Taksoner i artsgruppen
Registrerte funn
Laster funn i kart...
Registrerte funn i Norge
0
Funn totalt
0
Funn denne uken
0
Funn i dag
Bilder av arter i artsgruppen
Species name
Av
Arnstein Staverløkk
Utgiver
Norsk institutt for naturforskning
Species name
Av
Arnstein Staverløkk
Utgiver
Norsk institutt for naturforskning
Species name
Av
Arnstein Staverløkk
Utgiver
Norsk institutt for naturforskning
Species name
Av
Arnstein Staverløkk
Utgiver
Norsk institutt for naturforskning
Species name
Av
Frode Ødegaard
Utgiver
Norsk institutt for naturforskning
Species name
Av
Arnstein Staverløkk
Utgiver
Norsk institutt for naturforskning
Species name
Av
Arnstein Staverløkk
Utgiver
Norsk institutt for naturforskning
Siden siteres som
Artsdatabanken: Røvermaur Harpagoxenus
Hentet fra https://artsdatabanken.no/arter/takson/77399