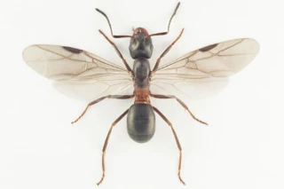
Matt heimaur er i Norge kun funnet i noen områder på Tjøme i Vestfold. Arten er knyttet til tørr åpenmark med sandjord, der den danner små flate tuer som ofte ligger tett sammen. Den er svært varmekjær og har sin hovedutbredelse lenger sør i Europa. Arten kan lett forveksles med blank heimaur.
Navn og taksonomi
- Vitenskapelig navn:
- Formica foreli Bondroit, 1918
- Synonymer:
- Ingen
- Bokmål:
- matt heimaur
- Nynorsk:
- Ingen
- Nordsamisk/Davvisámegiella:
- Ingen
- Vitenskapelig navn ID:
- 136669
- Takson ID:
- 94436
Artsnavn
Av
Arnstein Staverløkk
Utgiver
Norsk institutt for naturforskning
Kategori
Fastlands-Norge
EN
Sterkt truet
Registrerte funn
Laster funn i kart...
Registrerte funn i Norge
0
Funn totalt
0
Funn denne uken
0
Funn i dag
Bilder
Artsnavn
Av
Arnstein Staverløkk
Utgiver
Norsk institutt for naturforskning
Artsnavn
Av
Arnstein Staverløkk
Utgiver
Norsk institutt for naturforskning
Artsnavn
Av
Frode Ødegaard
Utgiver
Norsk institutt for naturforskning
Artsnavn
Av
Arnstein Staverløkk
Utgiver
Norsk institutt for naturforskning
Artsnavn
Av
Arnstein Staverløkk
Utgiver
Norsk institutt for naturforskning
Artsnavn
Av
Arnstein Staverløkk
Utgiver
Norsk institutt for naturforskning
Siden siteres som
Artsdatabanken: Matt heimaur Formica foreli
Hentet fra https://artsdatabanken.no/arter/takson/94436