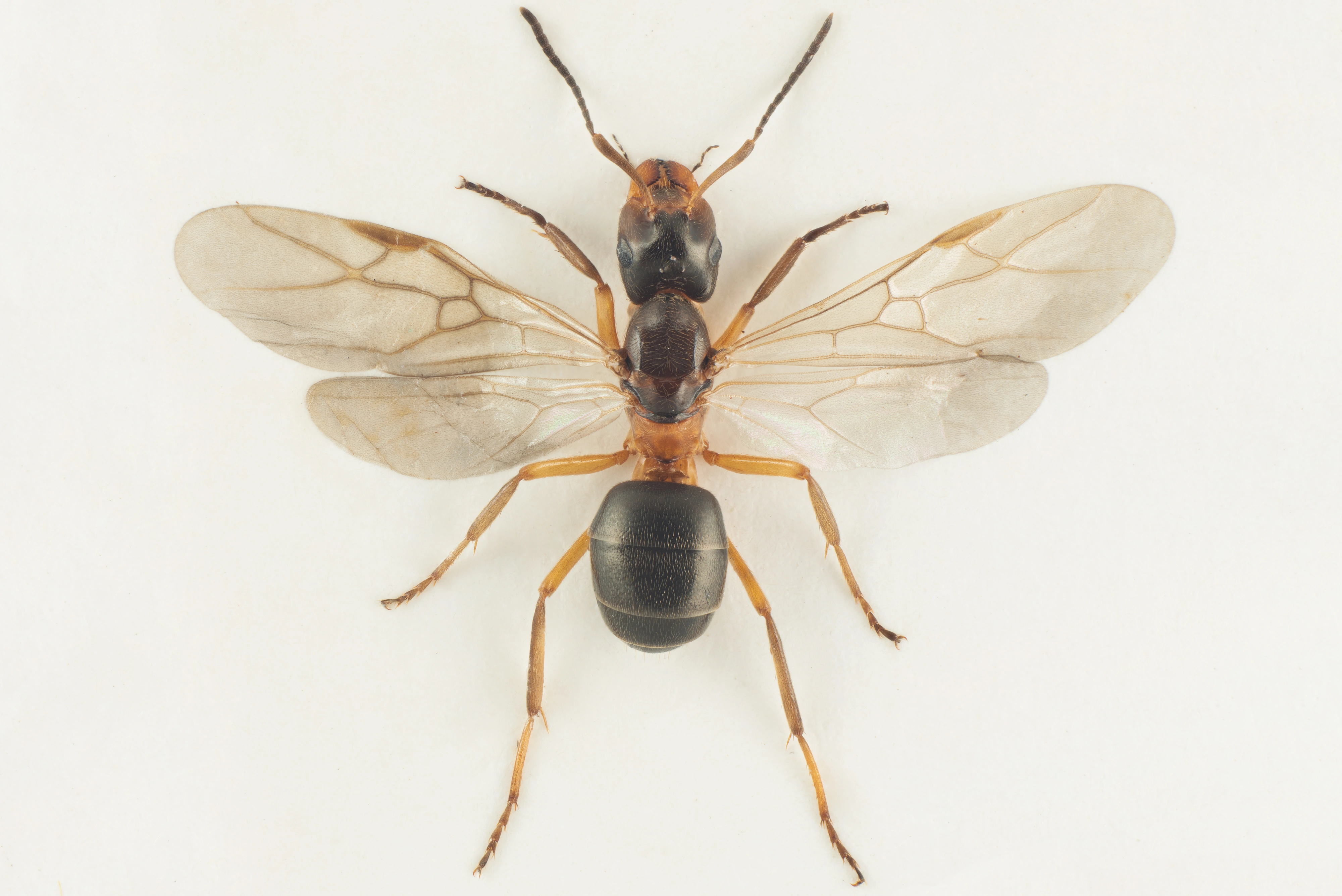
Taigaheimaur er en nylig beskrevet art som er nærstående til håret heimaur. Den skiller seg fra denne på svakere og mer spredt behåring og noe smalere hode. Arten er ikke påvist i Norge og et tidligere publisert funn fra Trøndelag har vist seg å være feilbestemt (B. Seifert i brev til FØ, aug. 2016). Teksten og billedmaterialet under er foreløpig ikke endret i forhold til dette bortsett fra underkapitlet om utbredelse.
Navn og taksonomi
- Vitenskapelig navn:
- Formica fennica Seifert, 2000
- Synonymer:
- Ingen
- Bokmål:
- taigaheimaur
- Nynorsk:
- Ingen
- Nordsamisk/Davvisámegiella:
- Ingen
- Vitenskapelig navn ID:
- 131478
- Takson ID:
- 88063
Species name
Av
Arnstein Staverløkk
Utgiver
Norsk institutt for naturforskning
Forvekslingsarter
Registrerte funn
Laster funn i kart...
Registrerte funn i Norge
0
Funn totalt
0
Funn denne uken
0
Funn i dag
Bilder
Species name
Av
Frode Ødegaard
Utgiver
Norsk institutt for naturforskning
Species name
Av
Frode Ødegaard
Utgiver
Norsk institutt for naturforskning
Species name
Av
Frode Ødegaard
Utgiver
Norsk institutt for naturforskning
Species name
Av
Arnstein Staverløkk
Utgiver
Norsk institutt for naturforskning
Species name
Av
Frode Ødegaard
Utgiver
Norsk institutt for naturforskning
Species name
Av
Arnstein Staverløkk
Utgiver
Norsk institutt for naturforskning
Siden siteres som
Artsdatabanken: Taigaheimaur Formica fennica
Hentet fra https://artsdatabanken.no/arter/takson/88063