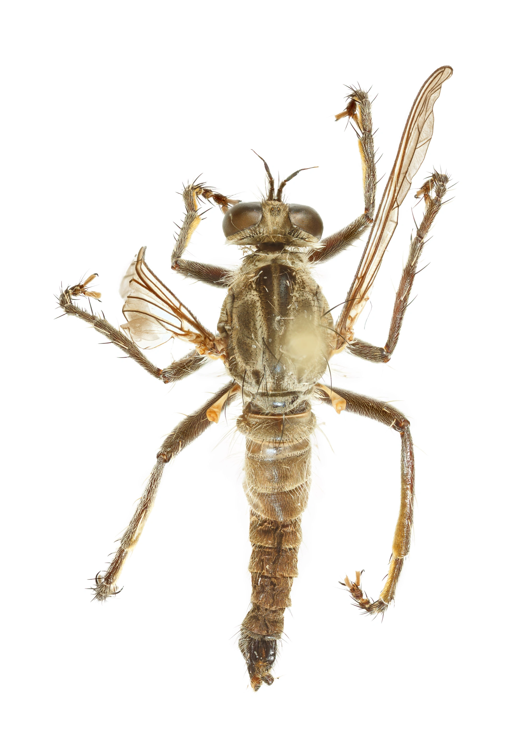
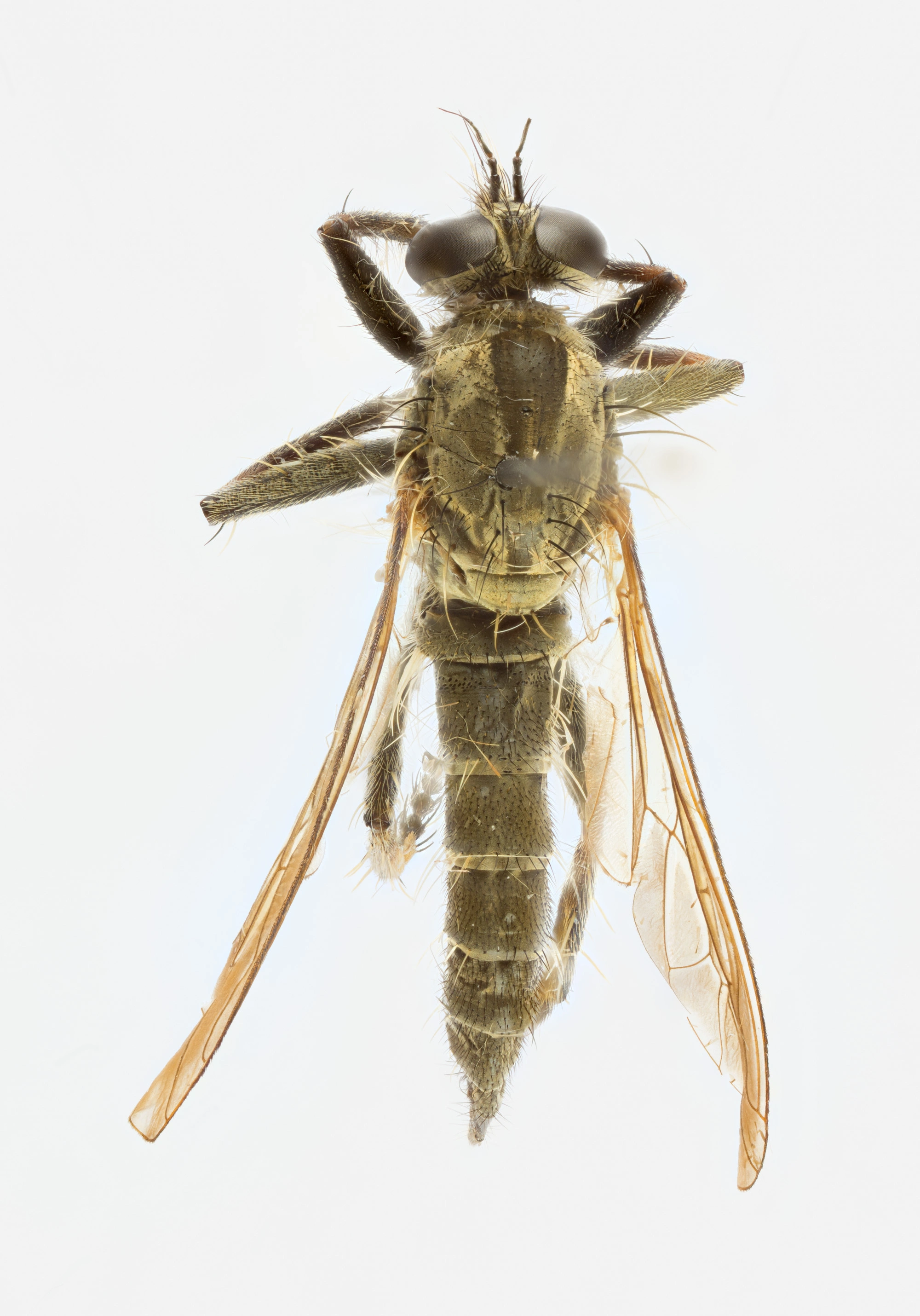
Rovfluene tilhører noen av de mest iøynefallende tovingene i vår fauna. Disse insektene, som alle er rovdyr, varierer i størrelse fra ganske små til meget store (opptil 3 cm) og kan angripe blant annet øyenstikkere og bier, men hovedsakelig tar de mindre insekter. De er spesialiserte jegere som både kan jakte aktivt og utføre bakholdsangrep på sine byttedyr. Familien er mer artsrik sørover i Europa og vi har et begrenset antall arter i Norge hvor klimaet er betraktelig hardere.
Navn og taksonomi
- Vitenskapelig navn:
- Asilidae
- Synonymer:
- Ingen
- Bokmål:
- rovfluer
- Nynorsk:
- rovfluger
- Nordsamisk/Davvisámegiella:
- beahtočurut
- Vitenskapelig navn ID:
- 21267
- Takson ID:
- 18914
Taksoner i artsgruppen
Registrerte funn
Laster funn i kart...
Registrerte funn i Norge
0
Funn totalt
0
Funn denne uken
0
Funn i dag
Bilder av arter i artsgruppen
Species name
Av
Oddvar Hanssen
Utgiver
Norsk institutt for naturforskning
Lisens
CC BY 4.0 (Navngivelse)
Siden siteres som
Artsdatabanken: Rovfluer Asilidae
Hentet fra https://artsdatabanken.no/arter/takson/18914