Navn og taksonomi
- Vitenskapelig navn:
- Ichneumonoidea
- Synonymer:
- Ingen
- Bokmål:
- Ingen
- Nynorsk:
- Ingen
- Nordsamisk/Davvisámegiella:
- Ingen
- Vitenskapelig navn ID:
- 113720
- Takson ID:
- 72813
Taksoner i artsgruppen
Registrerte funn
Laster funn i kart...
Registrerte funn i Norge
0
Funn totalt
0
Funn denne uken
0
Funn i dag
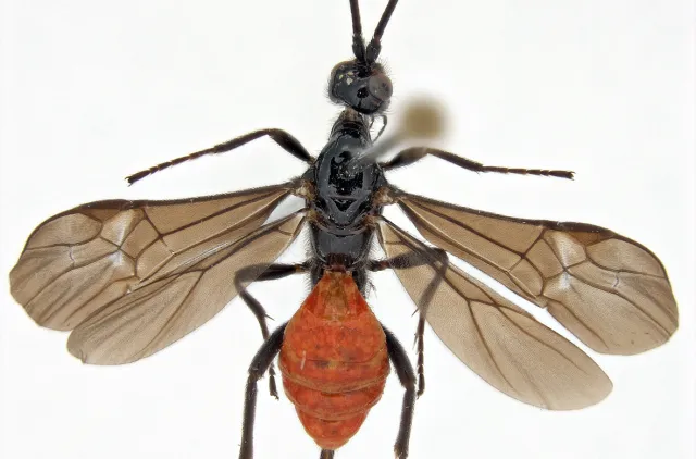
Bilder av arter i artsgruppen
Species name
Av
Karsten Sund
Utgiver
Naturhistorisk museum, Universitetet i Oslo
Species name
Av
Geir Søli
Utgiver
Naturhistorisk museum, Universitetet i Oslo
Species name
Av
Karsten Sund
Utgiver
Naturhistorisk museum, Universitetet i Oslo
Lisens
CC BY 4.0 (Navngivelse)
Species name
Av
Karsten Sund
Utgiver
Naturhistorisk museum, Universitetet i Oslo
Species name
Av
Geir Søli
Utgiver
Naturhistorisk museum, Universitetet i Oslo
Species name
Av
Karsten Sund
Utgiver
Naturhistorisk museum, Universitetet i Oslo
Species name
Av
Lars Ove Hansen,
Lars Ove Hansen
Utgiver
Naturhistorisk museum, Universitetet i Oslo,
Naturhistorisk museum, Universitetet i Oslo
Species name
Av
Hallvard Elven
Utgiver
Naturhistorisk museum, Universitetet i Oslo
Lisens
CC BY 3.0 (Navngivelse)
Species name
Av
Hallvard Elven
Utgiver
Naturhistorisk museum, Universitetet i Oslo
Lisens
CC BY 3.0 (Navngivelse)
Siden siteres som
Artsdatabanken: Ichneumonoidea
Hentet fra https://artsdatabanken.no/arter/takson/72813