Skogstokkmaur er en av svært få maurarter som finnes i tett skog der den danner samfunn i morken ved av både døde og levende trær. Arten er nokså anonym i naturen, men kan gjøre stor skade på treverk i bygninger. I Norge er arten vanlig i skogsområder i hele landet.
Innhold
 
        Kjennetegn
Skogstokkmaur Camponotus herculeanus har relativt tett nedliggende behåring på bakkroppen med lite utpreget rød farge ved basis. Arbeiderne av skogstokkmaur er brunsvarte på hodet og bakkroppen, mens mellomkroppen er brunrød i fargen. Basis av første ryggledd (T1) og petiolen, samt lårene er også rødlige. Behåringen på bakkroppen består av lange spredte utstående hår, samt relativt kort og tett nedliggende behåring. Mikrochagrineringen er relativt kraftig slik at arten virker nokså matt.
Arbeiderne forekommer i to størrelser; soldater med store brede hoder og normale arbeidere med små og smale hoder.
Dronningen ligner store arbeidere men er mørkere på mellomkroppen og rødlig på sidene.
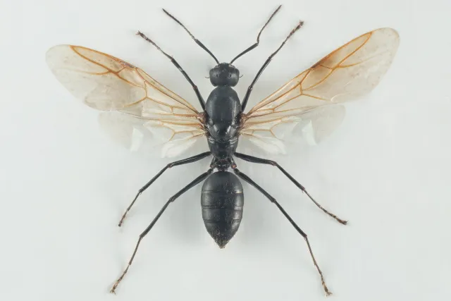
Hannen er brunsvart med spredt utstående behåring og nokså tett nedliggende behåring. Utstående behåring finnes også på første ryggledd. Den har relativt lyse vinger.
Lengde: arbeider, 5–12 mm; dronning, 14–17 mm; hann, 7–11 mm.
 
        Arbeider av skogstokkmaur Camponotus herculeanus.
 
        Hann av skogstokkmaur Camponotus herculeanus.
Utbredelse
Skogstokkmaur er utbredt i Nord-Europa og med spredte forekomster i høyereliggende strøk i Mellom- og Sør-Europa. Den finnes hele veien østover i barskogsbeltet til Kamtsjatka og Japan. Mange forekomster også nord for polarsirkelen og fra Nord-Amerika.
I Norge er den vanlig i skogsområder i hele landet. Arten ble først rapportert fra Norge av Siebke (1880).
 
        Gammel granstubbe med bol av skogstokkmaur Camponotus herculeanus.Leinstrand, Trondheim i Sør-Trøndelag.
Levesett
Skogstokkmaur danner alltid samfunn i morken ved av stubber og stokker, eller i levende trær som er angrepet av råte. Den utnytter mange ulike treslag, men ser ut til å preferere bartrær. Arten kan finnes i nokså tett skog, men bolene anlegges gjerne i ved som ligger noe soleksponert. Bolene lages ved at arbeiderne gnager ganger mellom årringene som skilles fra hverandre av tynne vegger.
Koloniene kan bli store i utstrekning og bestå av flere tusen arbeidere. I store samfunn finnes som regel en til fem dronninger (oligogyn). Når flere dronninger forekommer, lever de i ulike deler av bolet.
Nye samfunn dannes enten ved knoppskyting, der flere kolonier kan stå i forbindelse med hverandre, eller ved at den befruktete dronningen svermer og etablerer seg på et nytt sted. Når dronningen har funnet seg en passende stokk og er klar til å etablere et nytt samfunn, biter hun av seg vingene og lager et lite kammer inni veden der hun i løpet av første året starter eggleggingen. Det er derfor vanlig å finne enslige stokkmaurdronninger inni død ved. Larvene forer hun selv på dette stadiet, og vil i løpet av andre året få frem inntil 20 arbeidere som da er klare til å ta over dronningens oppgave med stell av nye larver. Etter 6 til 10 år, vil samfunnet kunne starte produksjon av kjønnsdyr som klekkes på ettersommeren og overvinterer i bolet. Både de nyklekte dronningene og hannene deltar i arbeidet i bolet før de svermer i løpet av påfølgende forsommer.
Arbeidere forekommer i to størrelser; soldater med store brede hoder og normale arbeidere med små hoder.
Arten spiser gjerne honningdugg fra bladlus på nærliggende trær eller tresaft fra skadete trær. Soldater tar også små og myke invertebrater, og de forsvarer bolet mot potensielle inntrengere som skogmaur Formica.
Svermingen skjer normalt en gang fra slutten av mai til begynnelsen av juli. Det er kjent at arten kan hybridisere med jordstokkmaur C. ligniperda (Czechowski et al. 2012).
 
        Sverming av skogstokkmaur Camponotus herculeanus. Vikhammeråsen, Malvik i Sør-Trøndelag. 30. mai 2016. Bildet er sammensatt.
Forvekslingsarter
Skogstokkmaur er svært vanskelig å skille fra jordstokkmaur Camponotus ligniperda. I felt virker ofte skogstokkmaur litt mattere og mørkere enn jordstokkmaur. Skogstokkmaur har noe kortere bein og er ikke så rask som jordstokkmaur. Arbeidere og dronninger av de to artene skilles på at utbredelsen til den røde tegningen på første ryggledd er begrenset til basis, dvs. den loddrette flaten som vender mot petiolen, på skogstokkmaur, mens den røde tegningen strekker seg noe lengre bakover på leddet hos jordstokkmaur. Den nedliggende behåringen på bakkroppen hos skogstokkmaur er relativt kort og tett, mens den hos jordstokkmaur er lang og spredt. Mikrochagrineringen på bakkroppen hos skogstokkmaur er kraftigere slik at arten virker mer matt enn jordstokkmaur.
Vær oppmerksom på at små arbeidere med smale hoder kan minne om store arter av skogmaur Formica s.str. både i kroppsform og størrelse. Hos stokkmaur er imidlertid mellomkroppens rygg mer jevnt buet i profil og antennefestene sitter et stykke over munnskjoldet. Hodet hos stokkmaur er helsvart, mens det hos skogmaur oftest er mer rødlig særlig i forkant. Mange skogmaur spruter dessuten maursyre med bakkroppen dersom de forstyrres, noe stokkmaur aldri gjør.
Hannene av de to stokkmaurartene er svært vanskelige å skille fra hverandre, men skogstokkmaur har mer tett utstående behåring også på første bakkroppsledd, samt noe lysere vinger.
Hanner av stokkmaur kan for øvrig ligne hanner av skogmaur, men har et lengre ansikt og antenner som er festet over munnskjoldet.