Innhold

Av
Kim Abel
Utgiver
Biofokus
Last ned (403.76 KB, JPG)

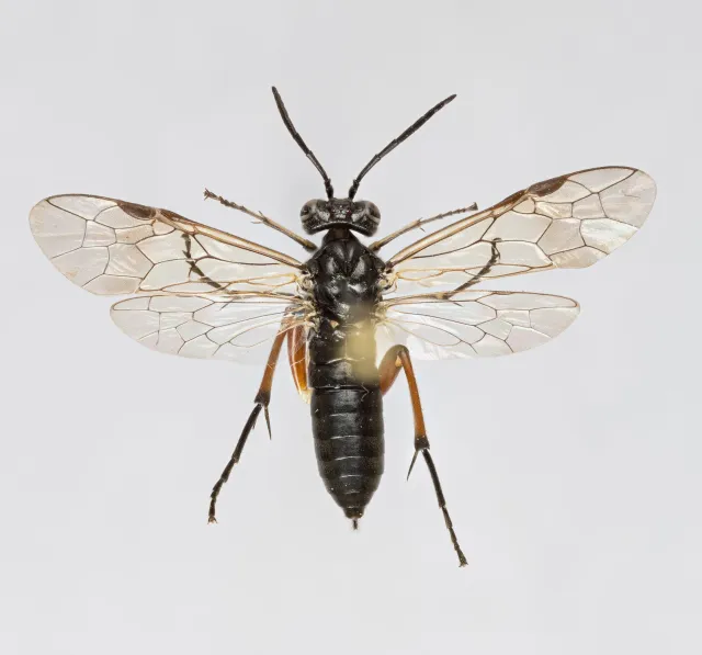
Macrophya sanguinolenta hunn. Brokka, Valle, Aust-Agder, Norge. 05.07.2012. Leg. Kai Berggren.

Beskrivelse

Hunnen: Svart. Underleppe og kjevenes ytterside lys. Antennene er svarte. Bakkroppsegment 3-5 har en lys flekk på siden. For- og mellomben svarte og hvite. Bakbenenes lår og legger er røde med svart spiss. Hofteringene er hvite og på hoften finnes en stor hvit flekk. Hannen ligner hunnen, men bakbena er mørkere. Bare låret er delvis rødt. Hannen er dessuten noe mindre enn hunnen. 7−10 mm.

Av
Kim Abel
Utgiver
Biofokus
Last ned (378.93 KB, JPG)

Macrophya sanguinolenta hann. Lilleaker, Oslo, Norge. 30.05.2011. Leg. Ole J. Lønnve.

Biologi

Arten forekommer i kanter og skog med frisk urterik undervegetasjon. De voksne insektene søker ikke til blomster. Den flyr lavt over vegetasjonen og kan sitte på blader.

Tveskjeggveronika (Veronica chamaedrys), storveronika (V. longifolia), dundå (Galeopsis ladanum) og bergsvineblom (Senecio sylvaticus) er oppgitt som vertsplanter (Taeger et al. 1998).

Flygetiden er i Norge fra slutten av mai til begynnelsen av juli. De fleste funn er gjort i juni.

Norsk utbredelse

Arten er vidt utbredt i lavlandet i Sør-Norge. Den er forholdsvis vanlig.

Global utbredelse

Global utbredelse omfatter store deler av Europa og langt østover til Asia. Arten er forholdsvis vanlig innenfor utbredelsesområdet.

Referanser