Innhold

Av
Kim Abel
Utgiver
Biofokus
Last ned (436.41 KB, JPG)

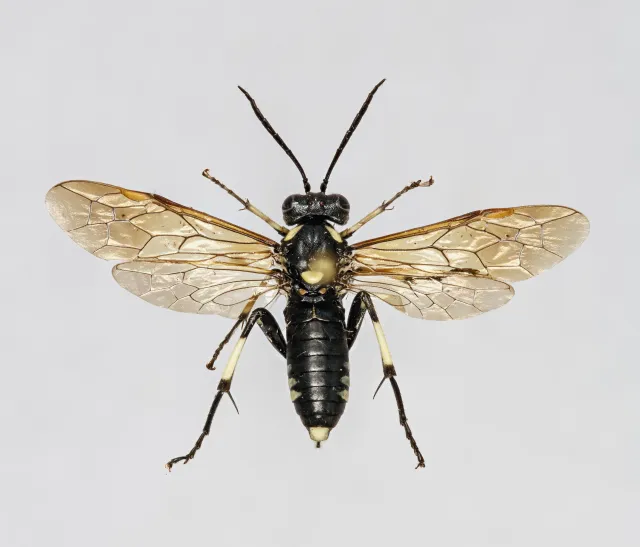
Macrophya duodecimpunctata hunn. Bautjønn, Kristiansand, Vest-Agder, Norge. 06.06.2011. Leg. Kai Berggren.

Beskrivelse

Hunnen: Svart. Hvitt er: Munndeler, forbrystets bakre hjørner, scutellum, leggene samt en stor flekk på bakre hofter er hvite. På 4.−6. bakkroppssegment finnes lyse flekker på sidene. 9. segment er lyst på oversiden. Vingene har et lyst brunlig eller gulaktig skjær. Årene brune. Vingemerket er lyst brunaktig. Hannen: Mørkere enn hunnen. Munndelene er nesten helt svarte, og scutellum er svart. Vingemerket er brunt, men vingene mangler det lysebrune eller gulaktige skjæret som hunnen har. 10−11,5 mm.

Av
Kim Abel
Utgiver
Biofokus
Last ned (311.55 KB, JPG)

Macrophya duodecimpunctata hann. Nedre Timenes, Kristiansand, Vest-Agder, Norge. 09.06.2013. Leg. Kai Berggren.

Biologi

På litt fuktige steder, f.eks. fuktenger eller i kantvegetasjonen langs elver og innsjøer.

Vertsplanten er sennegras (Carex vesicaria) (Taeger et al. 1998). De voksne søker ikke til blomster, men flyr lavt over vegetasjonen.

Flygetiden er fra slutten av mai til ut juni. De fleste norske funn er gjort i juni.

Av
Frank Strømmen
Last ned (1.93 MB, JPG)

Macrophya duodecimpunctata hunn. Bergmyrane, Flekkerøya, Kristiansand, Vest-Agder, Norge. 16.06.2014.

Norsk utbredelse

Arten er vidt utbredt i lavereliggende strøk av Sør-Norge. Den er forholdsvis vanlig.

Global utbredelse

Macrophya duodecimpunctata er forholdsvis vanlig og utbredt over store deler av Europa og østover til Kaukasus og Sibir. Arten er også kjent i fra Nord-Afrika (Lacourt 1985).

Referanser