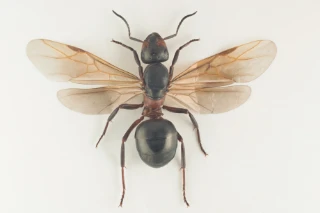
Håret skogmaur danner store tuer og er vanlig forekommende i skogsmark over hele landet, men særlig i nordlige og høyereliggende strøk. Arten er oftest enkel å skille fra de andre skogmaurartene på den omfattende oppstående behåringen på kroppen.

Les hele beskrivelsen

Navn og taksonomi

Vitenskapelig navn:
Formica lugubris Zetterstedt, 1838
Synonymer:
Ingen
Bokmål:
håret skogmaur
Nynorsk:
Ingen
Nordsamisk/Davvisámegiella:
Ingen
Vitenskapelig navn ID:
119217
Takson ID:
77463
Gå til Nortaxa for flere detaljer
Av
Arnstein Staverløkk
Utgiver
Norsk institutt for naturforskning

Kategori

Fastlands-Norge

Forvekslingsarter

Registrerte funn

Laster funn i kart...

Registrerte funn i Norge

Funn totalt
Funn denne uken
Funn i dag

Siden siteres som

Artsdatabanken: Håret skogmaur Formica lugubris Zetterstedt, 1838

Hentet fra https://artsdatabanken.no/arter/takson/77463