Vepserovflue Asilus crabroniformis er ikke funnet i Norge siden 1800-tallet og ansees for å være utdødd fra Norge. Dette var vår største og vakreste rovflue. Dersom arten fremdeles skulle finnes her i landet, må det være i områder som har hatt kontinuerlig beite av storfe eller hest siden 1800-tallet og som har gitt tilstrekkelig med habitater. Det er lite trolig at slike områder fremdeles finnes i Norge og arten er vurdert til å være borte fra vår fauna.
Innhold
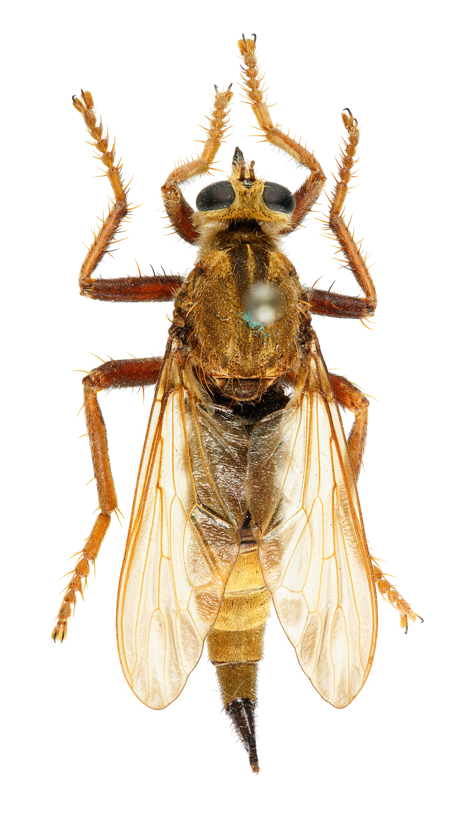
Vepserovflue Asilus crabroniformis, hann.
Utseende
Vepserovflue er en meget karakteristisk art. Den er stor (opptil 3 cm lang) og den har umiskjennelige fargetegninger. Arten ligner den store vepsen geithams Vespa crabro og kan lett forveksles med denne eller andre store vepsearter. Mellomkroppen (thorax) er brunaktig. De første tre segmentene av bakkroppen (abdomen) er overveiende svarte, mens resten av bakkroppsleddene er gulhårete. Spissen av bakkroppen er svart. Beina er oransjefargede. Arten har gult skjegg og vingene er rustfargede med mørke brune flekker i bakkant.
Vepserovflue Asilus crabroniformis, hunn.
Levesett
Arten trives på tørre og soleksponerte områder. Den krever sandholdige habitater og er i tillegg også registrert fra glissen og tørr furuskog, trolig på sandholdig mark. Vepserovflue legger egg først og fremst i ekskrementer fra kyr, men det er også registrert at den legger egg i ekskrementer fra hest. Larven er stor og blir over 3 cm lang. Den lever som rovdyr, først og fremst på billelarver (Coleoptera), i de tørre ekskrementene. Den voksne fluen jakter fra bakkenivå eller fra lave utkikksposter. I Sverige flyr arten fra midtsommer til slutten av september.
Utbredelse
Arten ansees som utdødd fra Norge. De siste funnene av arten er fra 1800-tallet fra Oslo og Eidsberg. Utbredelsen av vepserovflue har gått kraftig tilbake i Norden på 1900-tallet.
Forvekslingsarter
Denne karakteristiske arten har ingen forvekslingsarter i Norge. Den vil være lett å kjenne igjen om den skulle bli gjenfunnet. Arten ligner den store vepsen geithams Vespa crabro og kan lett forveksles med denne eller andre store vepsearter.
Om denne siden
Publisert: 2. desember 2014Siden siteres som
Øivind Gammelmo: Vepserovflue Asilus crabroniformis Linnaeus, 1758
Hentet fra https://artsdatabanken.no/arter/takson/18920/beskrivelse