Navn og taksonomi

Vitenskapelig navn:
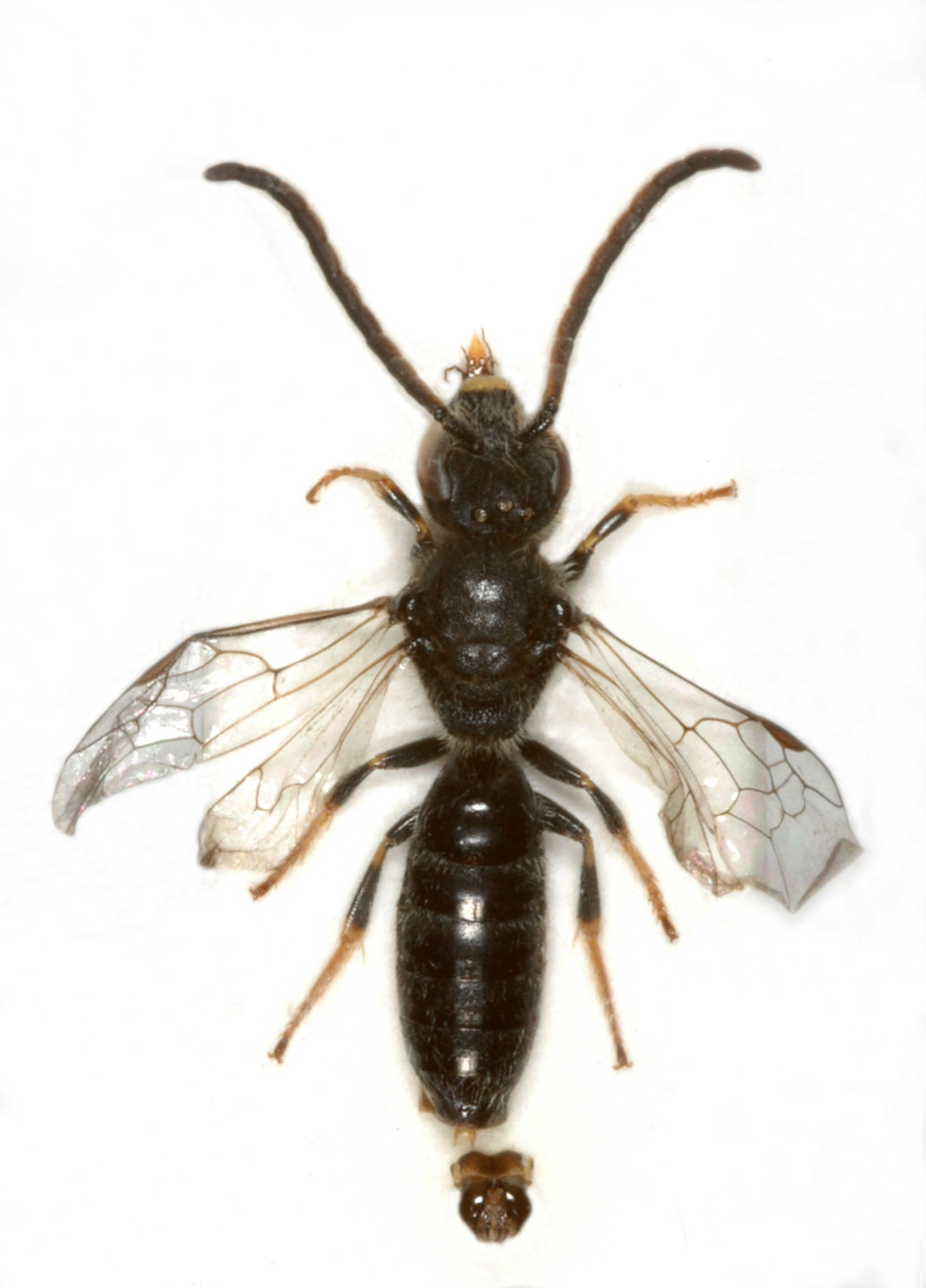
Halictini Thomson, 1869
Synonymer:
Ingen
Bokmål:
Ingen
Nynorsk:
Ingen
Nordsamisk/Davvisámegiella:
Ingen
Vitenskapelig navn ID:
119855
Takson ID:
78075
Gå til Nortaxa for flere detaljer
Av
Arnstein Staverløkk
Utgiver
Norsk institutt for naturforskning

Taksoner i artsgruppen

Registrerte funn

Laster funn i kart...

Registrerte funn i Norge

0 Funn totalt
0 Funn denne uken
0 Funn i dag

Siden siteres som

Artsdatabanken: Halictini Thomson, 1869

Hentet fra https://artsdatabanken.no/arter/takson/78075