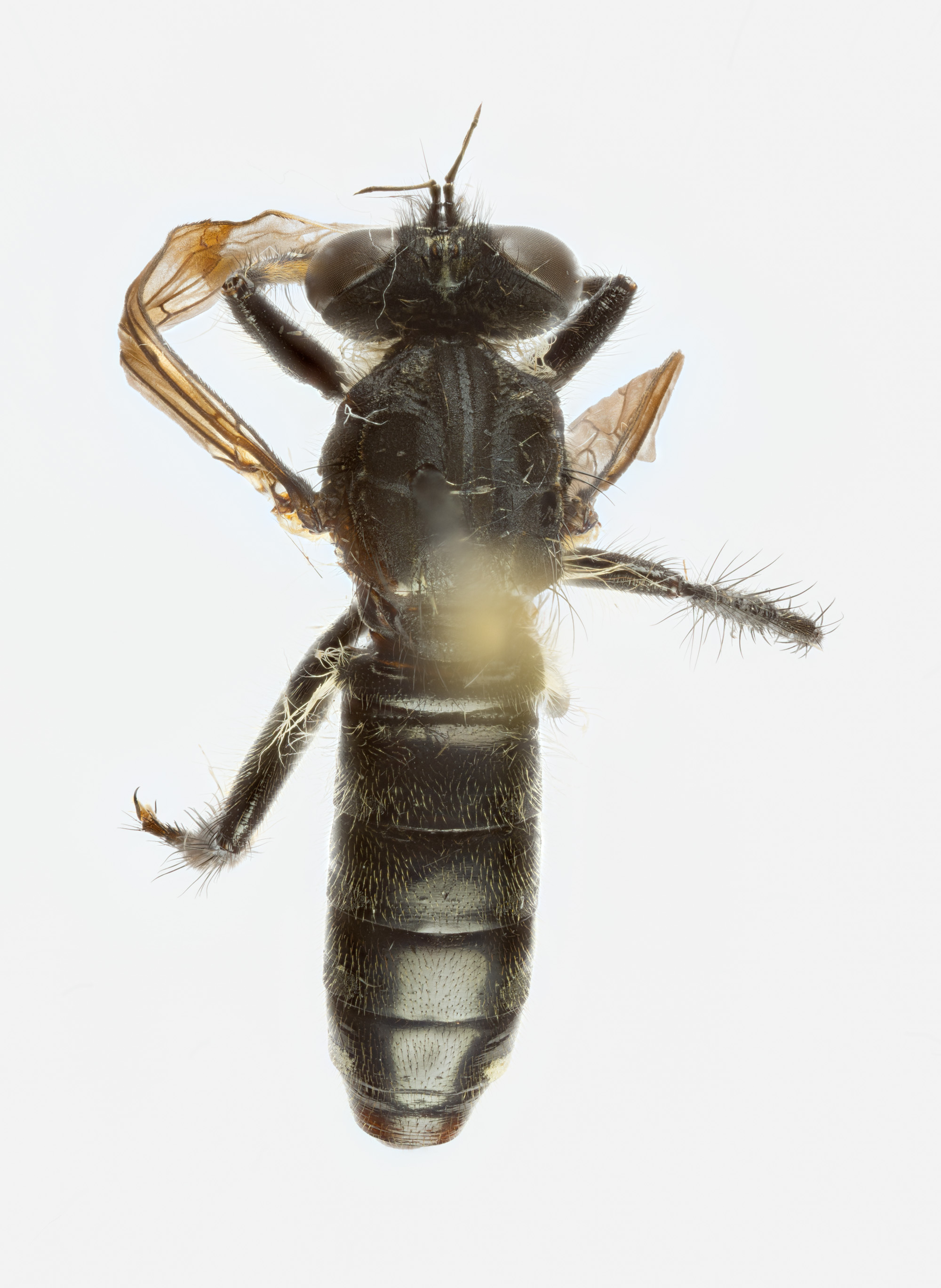
Flekkvingerovflue Cyrtopogon maculipennis er en vidt utbredt europeisk art som kun forekommer på noen få lokaliteter i Sør-Norge. Arten trives på steder med god solinnstråling hvor den jakter på byttedyr. Arten er lett gjenkjennelig ved at den har hvite fargetegninger på bakkroppen og mørke felter på vingene. Ellers er arten mørk og liten. 

Utseende

Flekkvingerovflue er en nesten helt svart rovflue med karakteristiske mørke flekker på vingene. Leggene (tibia) er delvis rødaktige. Til forskjell fra hvitbåndrovflue er ingen av bakkroppsleddene hos flekkvingerovflua helt hvite.

Levesett

Flekkvingerovflue trives på solvarme steder. Den kan sees sittende på bakken eller i vegetasjonen nær bakken. Larven utvikler seg trolig i sandholdig eller finkornet jord. Flekkvingerovflua jakter på byttedyr fra sine utkikksposter. Den utfører overfallsangrep på byttedyr som består av andre mindre insekter.

Utbredelse

Flekkvingerovflue er kun kjent fra noen få funn i Sør-Norge. Arten ser ut til å ha sin hovedutbredelse på Østlandet. Arten er rapportert fra store deler av Europa.

Forvekslingsarter

Flekkvingerovflue er en meget karakteristisk art som ikke har noen forvekslingsarter i norsk fauna. Dens karakteristiske vingetegninger skiller den enkelt fra den nærstående hvitbåndrovflua. Den skilles også fra denne ved at den ikke har noen helt hvite bakkroppsledd.