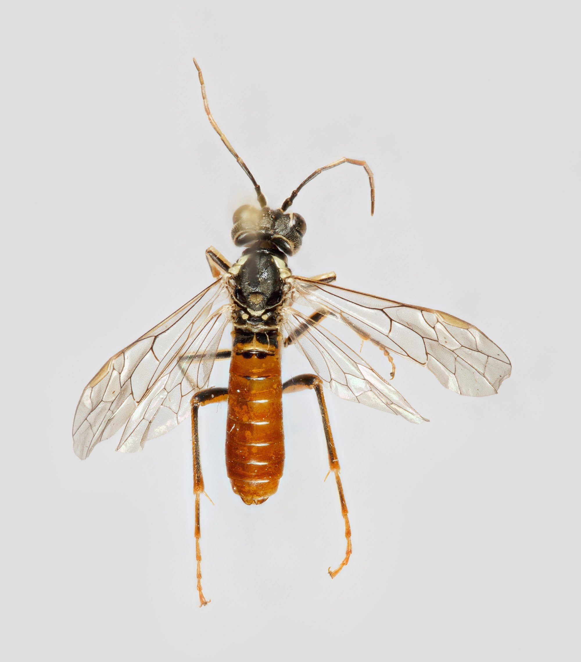
Tenthredo ferruginea
Klassifisering
-
- Dyreriket Animalia Rike
- Arthropoda Rekke
- Insekter Insecta Klasse
- Vepser Hymenoptera Orden
- Plantevepser Symphyta Underorden
- Tenthredinoidea Overfamilie
- Bladvepser Tenthredinidae Familie
- Tenthredininae Underfamilie
- Tenthredo Slekt
- Tenthredo ferruginea Art
- Vitenskapelig navn
- Tenthredo ferruginea
-
Gå til navnetreet
Beskrivelse
Norsk rødliste for arter
Gjeldende kategori er livskraftig LC . Vurdert i 2021 for Fastlands-Norge med havområder.
Registrerte observasjoner
Prikkene markerer registrerte funn av arten/artsgruppen.