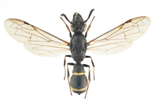
Veggvedveps er en relativt mørk og stor vedveps som trives i kulturlandskap med gamle bygninger. Arten har gått sterkt tilbake i den senere tiden, og den er nå kun kjent fra noen få steder på Østlandet. Arten kjennes på at mellomkroppen kun har grov punktur og at de gule tegningene på kroppen er begrenset til to bånd på bakkroppen.

Les hele beskrivelsen

Navn og taksonomi

Vitenskapelig navn:
Symmorphus allobrogus (Saussure, 1856)
Synonymer:
Symmorphus bifasciatus auct. nec (Linnaeus, 1761)
Bokmål:
veggvedveps
Nynorsk:
Ingen
Nordsamisk/Davvisámegiella:
Ingen
Vitenskapelig navn ID:
119258
Takson ID:
77503
Gå til Nortaxa for flere detaljer
Av
Arnstein Staverløkk
Utgiver
Norsk institutt for naturforskning

Kategori

Fastlands-Norge

Forvekslingsarter

Registrerte funn

Laster funn i kart...

Registrerte funn i Norge

Funn totalt
Funn denne uken
Funn i dag

Siden siteres som

Artsdatabanken: Veggvedveps Symmorphus allobrogus (Saussure, 1856)

Hentet fra https://artsdatabanken.no/arter/takson/77503