Les hele beskrivelsen

Navn og taksonomi

Vitenskapelig navn:
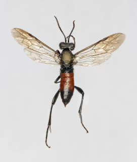
Macrophya blanda (Fabricius, 1775)
Synonymer:
Ingen
Bokmål:
Ingen
Nynorsk:
Ingen
Nordsamisk/Davvisámegiella:
Ingen
Vitenskapelig navn ID:
112226
Takson ID:
71324
Gå til Nortaxa for flere detaljer
Species name
Av
Kim Abel
Utgiver
Biofokus

Kategori

Fastlands-Norge

Registrerte funn

Registrerte funn i Norge

0 Funn totalt
0 Funn denne uken
0 Funn i dag

Bilder

Species name
Av
Kim Abel
Utgiver
Biofokus
Species name
Av
Kim Abel
Utgiver
Biofokus
Species name
Av
Kim Abel
Utgiver
Biofokus