Navn og taksonomi

Vitenskapelig navn:
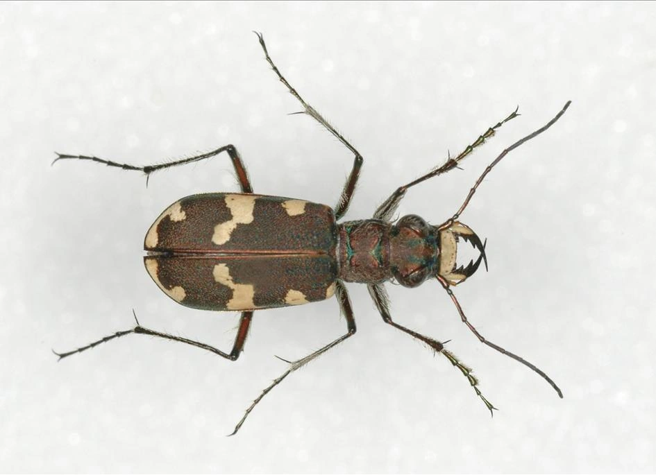
Cicindela Linnaeus, 1758
Synonymer:
Ingen
Bokmål:
Ingen
Nynorsk:
Ingen
Nordsamisk/Davvisámegiella:
Ingen
Vitenskapelig navn ID:
5323
Takson ID:
5214
Gå til Nortaxa for flere detaljer

Taksoner i artsgruppen

Registrerte funn

Laster funn i kart...

Registrerte funn i Norge

Funn totalt
Funn denne uken
Funn i dag

Siden siteres som

Artsdatabanken: Cicindela Linnaeus, 1758

Hentet fra https://artsdatabanken.no/arter/takson/5214