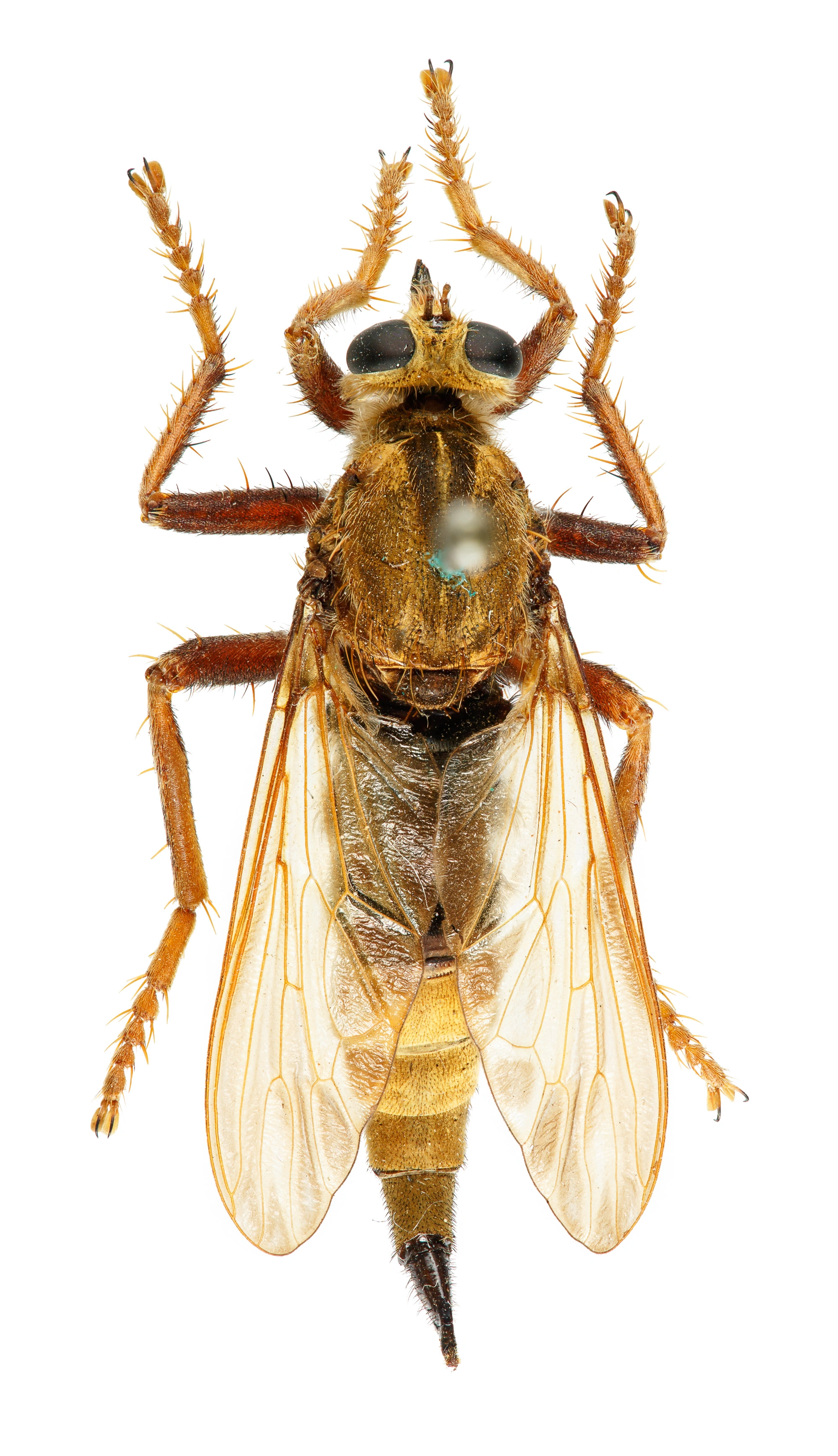
Slekten Asilus er en liten slekt og består av kun to arter i Europa hvorav én art finnes i Norge. Dette er vepserovflue Asilus crabroniformis. Slekten er på verdensbasis begrenset til Palearktis og Midtøsten.

Les hele beskrivelsen

Navn og taksonomi

Vitenskapelig navn:
Asilus
Synonymer:
Ingen
Bokmål:
vepserovfluer
Nynorsk:
vepserovfluger
Nordsamisk/Davvisámegiella:
Ingen
Vitenskapelig navn ID:
21272
Takson ID:
18919
Gå til Nortaxa for flere detaljer

Taksoner i artsgruppen

Registrerte funn

Laster funn i kart...

Registrerte funn i Norge

0 Funn totalt
0 Funn denne uken
0 Funn i dag

Siden siteres som

Artsdatabanken: Vepserovfluer Asilus

Hentet fra https://artsdatabanken.no/arter/takson/18919