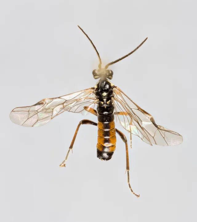
Tenthredopsis ornata hunn. Øverland, Bærum, Akershus, Norge. 15.06.2013. Leg. Ole J. Lønnve.

Beskrivelse

Hunnen: Hodet er svart, munndeler og partier på hodet er lyst. Antennene har svart overside og brun underside. Brystet er svart med forbryst, vingeskjellene og scutellum lyst. På bakkroppen er 1.−2. segment samt 7.−9. segment svarte. 3.−6. segment er røde med en tynn svart stripe langs ryggens midte. På sidene av bakkroppens underside finnes to svarte linjer. Bena er røde med svarte hofter. Vingene er klare med brune årer. Vingemerket har lys basis og er mørk mot spissen. Hannen: Ligner hunnen, men den svarte stripen på oversiden av bakkroppen er tykkere. 7−9 mm.

Note: I Norge kan denne arten forveksles med T. scutellaris (Fabricius, 1804). Denne er derimot gjerne litt større, og den bør lett kunne skilles på formen av overleppen. Overleppen til T scutellaris (og de andre Tenthredopsis-artene som forekommer i Norge) har nesten helt rett kant, mens den hos T. ornata har et tydelig innrykk sentralt. T. scutellaris mangler også de to langsgående stripene på undersiden av bakkroppen.

Tenthredopsis ornata hann. Sjøstrand, Asker, Akershus, Norge. 26.05.2011. Leg. Stefan Olberg.

Biologi

Arten forekommer spesielt i tilknytning til enger, men også i veikanter, jordekanter og skogskanter. På gode lokaliteter opptrer arten i antall. De voksne insektene søker normalt ikke til blomster. De flyr lavt over vegetasjonen. Arten opptrer ofte sammen med Aglaostigma aucupariae og A. fulvipes samt enkelte andre Tenthredopsis-arter, spesielt T. nassata og T. scutellaris.

Vertsplantenen er gress. Grønnaksslekta (Brachypodium) er nevnt (Weiffenbach 1985). I Norge forekommer kun to arter i denne slekta, lundgrønnaks (B. sylvaticum) og kalkgrønnaks (B. pinnatum), hvorav lundgrønnaks er den mest utbredte og vanligste. Om begge disse gressartene er vertsplante for T. ornata i Norge, er derimot ukjent.

Arten flyr fra siste halvdel av mai til første halvdel av juni. Den er litt tidligere på vingene en andre Tenthredopsis-arter, som den forekommer sammen med.

Norsk utbredelse

T. ornata er først og fremst utbredt i lavlandet på Østlandet, hvor den stedvis er svært vanlig. Vestligste funn er i Aust-Agder.

Global utbredelse

Arten er utbredt over mesteparten av Europa, og er vanlig mange steder innenfor utbredelsesområdet, men sørover i Mellom-Europa dukker det også opp flere andre nærstående arter.

Referanser

Taeger, A., Altenhofer, E., Blank, S. M., Jansen, E., Kraus, M., Pschorn-Walcher, H. & Ritzau, C. 1998. Kommentare zur Biologie, Verbreitung und Gefährdung der Pflanzenwespen Deutschlands (Hymenoptera, Symphyta). Pp. 49 – 136 in Taeger, A. & Blank. S. M. (Eds): Pflanzenwespen Deutschlands (Hymenoptera, Symphyta). Kommentierte Bestandsaufnahme. Verlag Goecke & Evers, Keltern.

Weiffenbach, H. 1985. Symphyta (Hymenoptera) von Süd-Niedersachsen, Nord- und Mittelhessen. Mitt. Münch. Ent. Ges. München 75, 5−44.