Flekket murerveps er en middels stor murerveps med omfattende gule tegninger som på første ryggledd danner en karakteristisk V-formet tegning. Arten er knyttet til kulturlandskapet og har trolig gått noe tilbake i nyere tid, men finnes fortsatt flere steder i Sør-Norge og er mest vanlig rundt Oslofjorden og i Trøndelag.

Innhold

Av
Arnstein Staverløkk
Utgiver
Norsk institutt for naturforskning
Last ned (872.81 KB, JPG)

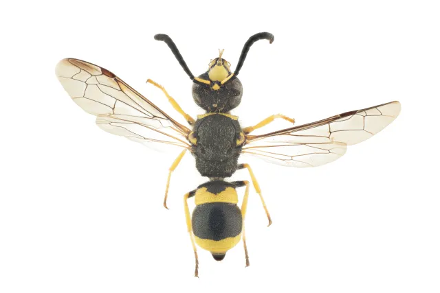
Hann av flekket murerveps Ancistrocerus parietum.

Kjennetegn

Hos hunnen er hodet svart med en gul panneflekk og en liten gul flekk bak hvert fasettøye. Munnskjoldet har en svak innskjæring i framkanten og har omfattende gule tegninger, som kan bestå av fire gule flekker eller to store gule sideflekker. Noen ganger er munnskjoldet nesten helgult med en omvendt krukkeformet svart tegning i midten. Antennene er svarte, men de første tre leddene er gule på undersiden. Indre halvdelen av første ledd har utelukkende grove punkter og mangler finpunktur mellom disse. Mellomkroppen er kompakt og kraftig og noe lengre enn bred. Hos hunnen er den svart, med utbredt gul farge på framryggens overside og på vingeskjellene. Som regel finnes også to gule flekker på skutellum og en flekk på hver av mellombrystets sider. Hos hannen er den gule tegningen som regel mer begrenset, men den har ofte to skutellflekker. Bakkroppen har brede lyse bånd langs bakkanten på alle ryggleddene hos hunnen, mens siste ledd hos hannen er svart. Første ryggledd har et lyst bånd som blir gradvis bredere mot sidene av leddet hos begge kjønn. Hos hunnen har bukleddene bølgete lyse bånd langs bakkantene på andre til fjerde ledd (kan være brutt på fjerde ledd) og har ofte en lys flekk i bakhjørnene på femte bukledd. Hos hannen er bakkantene langs andre til sjette ledd oftest lyse. Første ryggledd har ei tydelig tverrlist foran som er innbuktet i midten. Andre bukledd, sett i profil, er rett eller svakt konkavt mot basis av den rillebesatte tverrfåren. Rillene i denne tverrfåren er ikke lengre i midten enn på sidene. Kroppsbehåringen er lys.

Hos hannen er munnskjoldet og mandiblene gule. Det finnes også en eller to flekker på innsiden av hvert fasettøye ved antennefestet. Munnskjoldet er tydelig innskjært i midten. Antennene er lengre enn hos hunnen og de to siste leddene er tynne og vendt bakover som en krok. Siste antenneledd sett forfra er nesten parallelt. Antennefargen er svart på oversiden og gul på undersiden. Beina hos begge kjønn er overveiende gule bortsett fra innerste del av lårene som er svarte. Hos lyse individer av hanner kan noen av hofteparene ha gule flekker på undersiden.

Lengde: hunn, 8–11 mm; hann, 7–10 mm.

Utbredelse

I Norge er flekket murerveps utbredt på Østlandet rundt Oslofjorden fra Hvaler i Østfold til Bamble i Telemark og innover i landet til Notodden i Telemark, Lillehammer i Oppland og Elverum i Hedmark. Den er også funnet flere steder i Trøndelag, samt at det finnes gamle funn fra Bergens-området i Hordaland. Ellers i Norden er arten utbredt i sørlige deler av Sverige og Finland og i Danmark. Totalutbredelsen omfatter Europa, Nord-Afrika og store deler av palearktisk Asia. Arten var tidligere en av de aller vanligste murervepsene, men har gått sterkt tilbake i antall i løpet av 18- og 1900-tallet, uten at utbredelsområdet har minket vesentlig (Pekkarinen & Huldén 1991). 

Levesett

Flekket murerveps forekommer helst i kulturlandskap og skogkanter eller i sandområder. Den kan trolig anlegge boplasser i flere ulike miljøer som i insektutgnag i død ved, hulrom i mur og døde plantestengler, men levesettet er dårlig kjent. Fra Danmark er den funnet i husvegger angrepet av husbukk Hylotrupes bajulus. Den tar trolig larver av mindre sommerfugler til byttedyr. De voksne er på vingene fra midten av mai til begynnelsen av september, og den besøker gjerne blomster. Gullvepsene Chrysis borealis, C. ignita og C. parietis er oppgitt som boparasitter hos flekket murerveps (Paukkunen et al. 2015, Orlovskyte et al. 2016).

Forvekslingsarter

Slektene Ancistrocerus og Symmorphus er de eneste murervepsene med tverrlist ved basis av første ryggledd. Ancistrocerus-artene skiller seg fra Symmorphus-artene på den mer kompakte kroppsformen og at første ryggledd mangler en lengdefure i midten bak tverrlista.

Flekket murerveps kan være vanskelig å skille fra nærstående arter, men hunnen karakteriseres av utbredte gule tegninger på munnskjoldet og kraftige gule bånd på ryggleddene. Andre bukledd sett i profil er helt flatt eller svakt konkavt, og rillene i tverrfåra på andre bukledd er ikke lengre i midten enn på sidene. Den ligner mest på gasellemurerveps A. gazella, men den har kun fire gule bånd på ryggleddene og mangler en tydelig innbuktning i tverrlista foran på første ryggledd hos begge kjønn. Hos flekket murerveps er dessuten det gule båndet på første ryggledd jevnt bredere mot sidene av leddet slik at det danner en V-formet tegning. Denne karakteren er unik innenfor slekta. 

Hannen kan være vanskelig å skille fra andre arter med flatt andre bukledd, men skilles fra seksbåndet murerveps A. quadratus på at rillene i midten av tverrfåra på andre bukledd hos sistnevnte er lengre enn de på sidene. I tillegg har seksbåndet murerveps finpunktur mellom de grove punktene på første antenneledd hos begge kjønn. Hannen av flekket murerveps har seks gule bånd på ryggleddene mens gasellemurerveps har fire gule ryggbånd. 

Av
Arnstein Staverløkk
Utgiver
Norsk institutt for naturforskning
Last ned (1.32 MB, JPG)

Hunn av flekket murerveps Ancistrocerus parietum.