Artsdatabankens artstelleverk tikker og går. Den 21. november 2022 ble nyoppdagede Orsillus depressus art nummer 50 000 i navnebasen vår. Men det er en liten bismak ved milepælen.

YouTube video: Intervju med Frode Ødegaard om Orsillus depressus

I videoen over kan du se Frode Ødegaard ved NTNU Vitenskapsmuseet fortelle om Orsillus depressus, om hvordan denne typen artsjakt foregår, og om hvordan fremmede insekter kommer til Norge.

Artsdatabanken hadde sett frem til å markere med brask og bram at norsk natur nå kunne skilte med 50 000 arter. Men så viste det seg at en fremmed art - tegen Orsillus depressus - fikk æren av å bli nummer 50 000. Altså en art vi kanskje skulle vært foruten?

Egentlig fra Middelhavsområdet

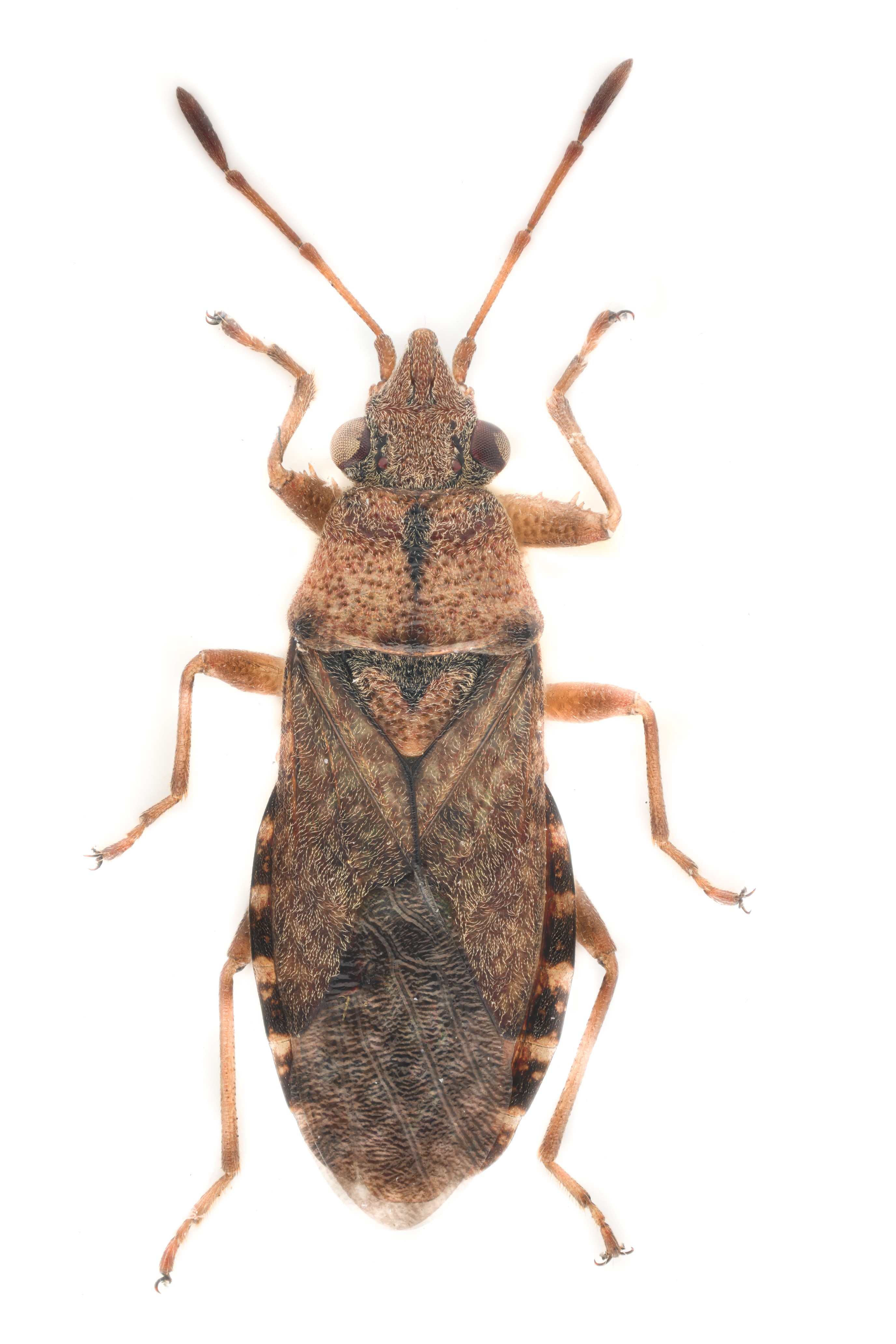
Frøtegen Orsillus depressus har sin naturlige utbredelse i Middelhavsområdet der den lever på ulike arter i sypressfamilien. I Norge er det forventet at arten vil holde til på sypress og tuja i hager og parker, men den kan også leve på norsk einer ute i naturen.

Arten ble funnet i en gammel sypress på Vestre gravlund i Oslo av forsker Frode Ødegaard ved NTNU Vitenskapsmuseet. Han rapporterte funnet rutinemessig til Artsdatabanken. 

Kommer arten på Fremmedartslista 2023?

Det er jo et tankekors at vår art nummer 50 000 ble en fremmed art. Men overraskende er det ikke. Fremmede arter kommer i stadig større antall til Norge, ved frivillig eller ufrivillig import, noe som utgjør en trussel mot det opprinnelige artsmangfoldet.

Artsdatabanken jobber nå med å vurdere om Orsillus depressus utgjør en økologisk risiko i Norge. Og om den gjør det, vil du finne resultatet av vurderingen i den nye Fremmedartslista som Artsdatabanken legger frem i 2023.