Rød sauemaur ligner en liten utgave av tuemaur, men virker raskere og har et gråaktig, matt skjær. Det er en varmekjær art som er nokså vanlig i tørre, åpne områder i lavlandet på Østlandet. Den bygger underjordiske kolonier direkte i sandjord eller under steiner.

Innhold

Av
Arnstein Staverløkk
Utgiver
Norsk institutt for naturforskning

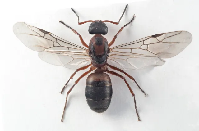
Dronning av rød sauemaur Formica rufibarbis.

Kjennetegn

Rød sauemaur Formica rufibarbis utpreges av matt rødlig farge på mellomkroppen og er den mest behårete av artene i den såkalte F. rufibarbis-gruppen blant sauemaurene. Hos arbeiderne er større eksemplarer ofte helt røde på mellomkroppen, mens mindre eksemplarer er mer brunlige. Hele kinnet fra øyets nedre kant til mandibelfestet er rødlig. Framryggen (pronotum) har som regel mellom 10 og 30 utstående hår. Petiolen har flere lange oppstående hår i øvre kant. Dronningen er relativt stor og har helt lys framrygg med 22–40 utstående hår. Mellomryggen og T1 har ofte lyse tegninger.

Hannen har lyse bein med mørke lår.

Lengde: arbeider, 4–7 mm; dronning, 8,5–9,5 mm; hann, 8,5–9,5 mm.

Av
Arnstein Staverløkk
Utgiver
Norsk institutt for naturforskning

Arbeider av rød sauemaur Formica rufibarbis.

Av
Arnstein Staverløkk
Utgiver
Norsk institutt for naturforskning

Dronning av rød sauemaur Formica rufibarbis.

Av
Arnstein Staverløkk
Utgiver
Norsk institutt for naturforskning

Hann av rød sauemaur Formica rufibarbis.

Utbredelse

Rød sauemaur finnes over det meste av Europa nord til sørlige deler av Skandinavia og Storbritannia og østover til vestlige deler av Sibir.

I Norge er arten relativt vanlig langs kysten rundt Oslofjorden og på Sørlandet til Lista. Den finnes også spredt innover i landet på Østlandet til Seljord i Telemark og Hønefoss i Buskerud. Arten ble først rapportert fra Norge av Strand (1919), men har også blitt funnet av flere samlere på 1800-tallet (Holgersen 1944).

Levesett

Rød sauemaur forekommer på åpen soleksponert mark i lavlandet. Den finnes på sand og grusstrender langs kysten, varme kalkbakker, i tørre åkerkanter og veiskjæringer og annen skrinn mark med lav vegetasjon. Den liker seg særlig godt i sandjord.

Koloniene er underjordiske og av og til sees små jordhauger rundt inngangshullene. Ofte ligger flere kolonier nær hverandre. De er relativt små og med en eller noen få dronninger og noen hundre arbeidere.

Arten lever hovedsakelig som predator, men er ofte å finne i blomster der den drikker nektar eller spiser pollen. Arbeiderne er mer aggressive enn svart sauemaur Formica fusca og brun sauemaur F. cunicularia.

Svermingen skjer normalt en gang i løpet av perioden fra slutten av juni til slutten av juli.

Forvekslingsarter

Rød sauemaur kan først og fremst forveksles med brun sauemaur F. cunicularia og bastardsauemaur F. clara (sistnevnte er ennå ikke påvist i Norge). Rød sauemaur er gjennomgående lys i fargen på mellomkroppen og har normalt 10–30 oppstående hår på mellomkroppens overside. Små eksemplarer av rød sauemaur er imidlertid spesielt problematiske siden disse er mørkere i fargen og ofte har færre hår på framryggen enn normalt*. Det er derfor viktig å undersøke store individer i koloniene som skal identifiseres. Slike små eksemplarer kan forveksles med brun sauemaur, men sistnevnte har 0–5 utstående hår på framryggen og dessuten en lys flekk i nedre del av kinnet der de andre artene i gruppen er helt lyse på kinnet. Bastardsauemaur F. clara befinner seg i en mellomstilling med hensyn til behåringen, men er oftest lysere i fargen, noe større og mer aggressiv (Seifert 1997, Czechowski & Radchenko 2006, Seifert & Schultz 2009).

Små eksemplarer av skogmaur Formica s. str. kan også være snarlike rød sauemaur. Skogmaur har imidlertid alltid blank pannetriangel til forskjell fra sauemaur Formica sg. Serviformica, der pannetriangelet er like matt som ansiktet ellers.

Dronningene av rød sauemaur skilles fra brun sauemaur på at førstnevnte har lys farge og flere hår langs framryggen, mens hannene av rød sauemaur skilles fra brun sauemaur på at førstnevnte har mørke lår.

*Taksonomien i Formica rufibarbis-gruppen er ikke helt avklart. Det finnes trolig mellomformer mellom F. rufibarbis og F. cunicularia som ikke er tilstrekkelig utredet. Noen av disse kan identifiseres til F. clara (F. lusatica), men man kan ikke utelukke at det også finnes flere arter eller at artsgrensene ikke er godt nok identifisert. Blant annet er det problemer knyttet til det østlige taksonet Formica glauca (se s. 220–221 i Czechowski et al. (2012) for diskusjon). Enkelte avvikende kolonier fra Tjøme i Vestfold, som foreløpig antas å tilhøre rød sauemaur, ligger i en slik mellomstilling.

Inngangshull til bol av rød sauemaur Formica rufibarbis. Kilebygd, Porsgrunn i Telemark. 27. juli 2015.

Av
Frode Ødegaard
Utgiver
Norsk institutt for naturforskning

Bol av rød sauemaur Formica rufibarbis. Skipstadkilen, Hvaler i Østfold.

Av
Frode Ødegaard
Utgiver
Norsk institutt for naturforskning

Habitat for rød sauemaur Formica rufibarbis. Skipstadkilen, Hvaler i Østfold.

Om denne siden

Publisert: 17. februar 2015
Forfattere
Frode Ødegaard
Arnstein Staverløkk
Jan Ove Gjershaug
Utgiver
Norsk institutt for naturforskning

Siden siteres som

Frode Ødegaard, Arnstein Staverløkk, Jan Ove Gjershaug: Rød sauemaur Formica rufibarbis Fabricius, 1793

Hentet fra https://artsdatabanken.no/arter/takson/77456/beskrivelse